Agapanthia (Epoptes) auliensis Pic, 1907
[= Agapanthia amabilis Holzschuh, 1981]

Subfamilia: LAMIINAE  /  Tribus: AGAPANTHIINI
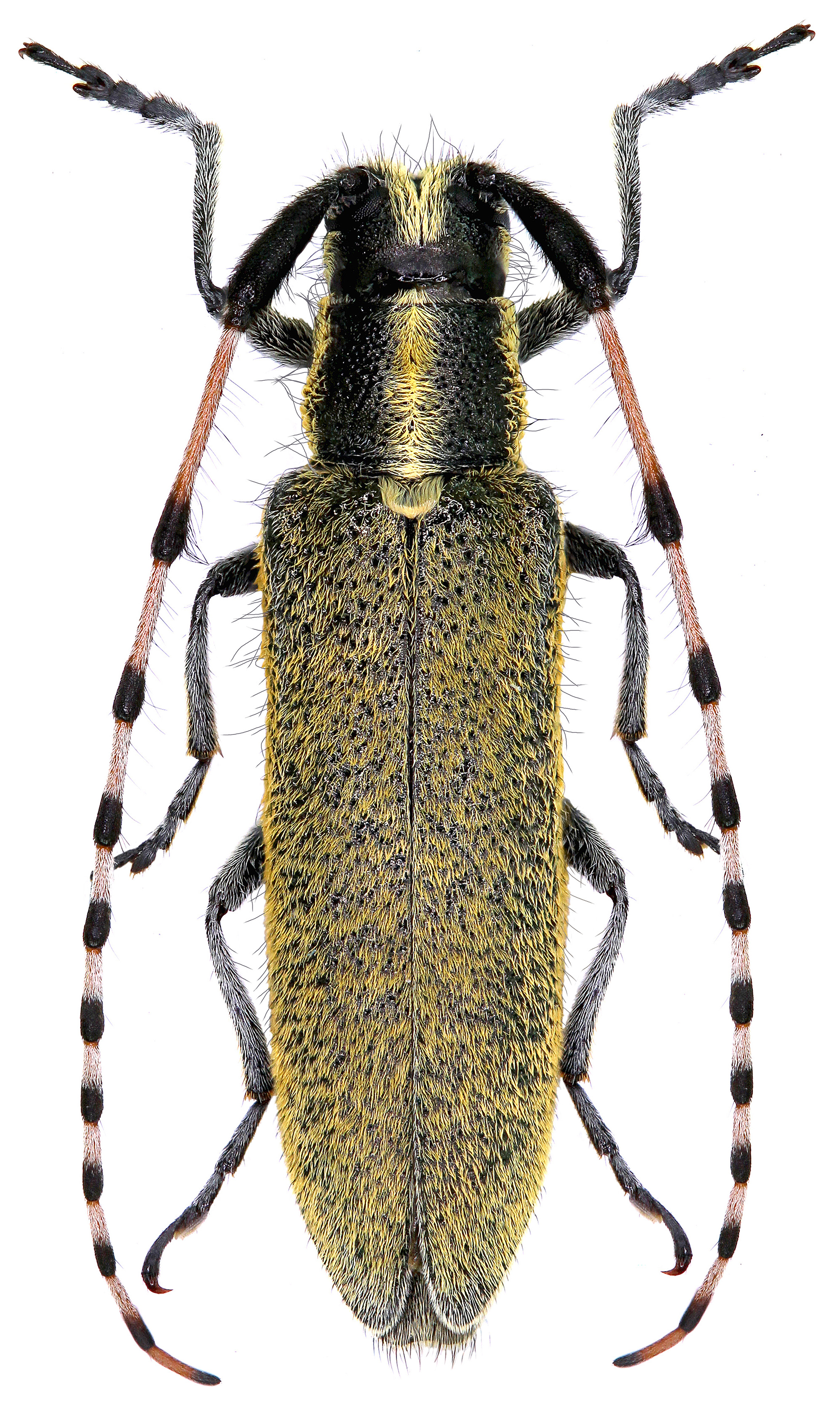
Agapanthia auliensis
[Photo © Sergey V. Kolov, click on the picture for 4K resolution]



Agapanthia auliensis, a species known from Kazakhstan and Uzbekistan, has been described from Taraz environs (former Aulie-Ata, Kazakhstan) by Maurice Pic in 1907 [▽]. Larvae of this species of Central Asian sandy desert habitats ("barchan sands") develop in stems of foxtail lily Eremurus inderiensis (Asphodelaceae) [❖].

Body length:12 - 22 mm
Life cycle:1 year
Adults in:April - June
Host plant:foxtail lily Eremurus inderiensis (Asphodelaceae)
Distribution:Kazakhstan, Uzbekistan


The depicted mounted beetle was collected in Karakum Desert ca 47 km SE of Aktogay (Ақтоғай) (N46°42′41″ E80°11′16″; 1500 m a.s.l., Alakol District, Almaty Region, Kazakhstan) on May 12, 2015. The living specimen was reared from larva found in Eremurus inderiensis stem in Almaty region of Kazakhstan (about 10 km south of Kapchagai) on November 14, 2014.

Collected by Sergey V. Kolov and Andrei M. Shapovalov


[▽]
Pic M.:
Description de plusieurs Longicornes rentrant dans la Faune Paléarctique.
Matériaux pour servir à l'étude des Longicornes 6 (2): 9-13, 1907. [download pdf icon]

[❖]
Shapovalov A.M.:
Новый вид рода Agapanthia Serville, 1835 (Coleoptera: Cerambycidae) из Юго-Западного Казахстана / New species of the genus Agapanthia Serville, 1835 (Coleoptera: Cerambycidae) from South-West Kazakhstan.
Eversmannia (Entomological Research in Russia and adjacent Regions) 19-20: 16-20, 2009. [download pdf icon]


Agapanthia auliensis
Agapanthia auliensis
[Photo © Andrei M. Shapovalov]


 
SubfamiliaLamiinae Latreille, 1825
TribusAgapanthiini Mulsant, 1839
GenusAgapanthia Audinet-Serville, 1835
SubgenusEpoptes Gistl, 1857
SpeciesAgapanthia (Epoptes) auliensis Pic, 1907