Agapanthia (Epoptes) dahli (Richter, 1821)
ssp. persica Semenov, 1893
[= Agapanthia persica Semenov, 1893]

Subfamilia: LAMIINAE  /  Tribus: AGAPANTHIINI
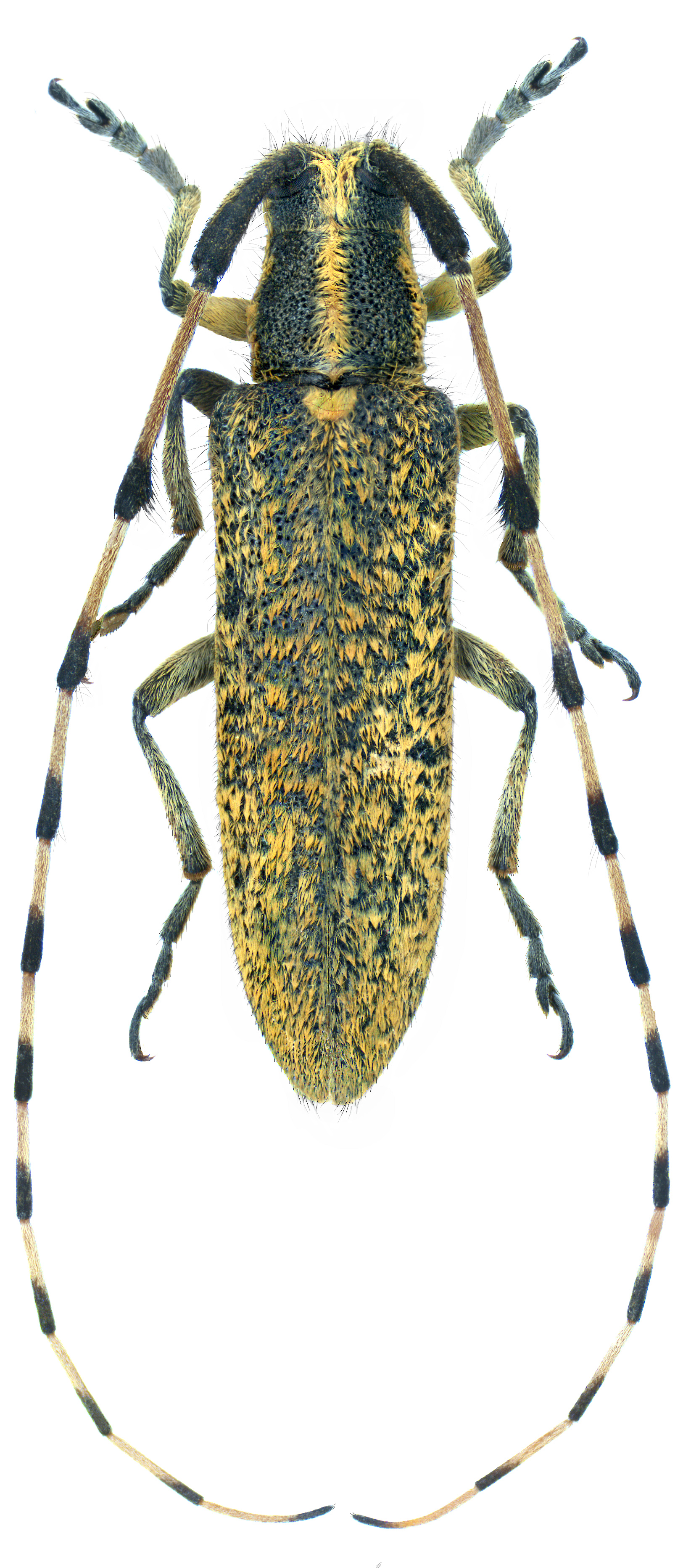
Agapanthia dahli persica
[Photo © Udo Schmidt]



Agapanthia dahli persica, a subspecies endemic to Iran, has been described from "Persia borealis" as Agapanthia persica by Andrej Petrovitsch Semenov Tian-Shanskij in 1893 [✱]. According to Maxim A Lazarev (2013), however, it is not a separate species, but only a subspecies of a very variable and plastic species A. dahli [❖].

Body length:14 - 22 mm
Life cycle:1 year
Adults in:May - June
Host plant:polyphagous in herbaceous plants
Distribution:a subspecies endemic to Iran


The depicted beetle was collected 5 km W Pol-e Zanguleh (پل زنگوله) village (2370 m a.s.l, Chahar Bagh Protected Area, Alborz Mts., Māzandarān province, North Iran) on May 28, 2008.

Collected by A. Skale


[✱]
Semenov Tian-Shanskij A.P.:
Coleoptera Asiatica Nova.
Horae Societatis Entomologicae Rossicae, St. Petersbourg 27 (3-4): 494-507, 1893. [download pdf icon]

[❖]
Lazarev M.A.:
Two new subspecies of Agapanthia dahli (Richter, 1821) from Dagestan and Armenia (Coleoptera, Cerambycidae).
Humanity space International Almanac 2 (3): 443-448, 2013. [download pdf icon]



 
SubfamiliaLamiinae Latreille, 1825
TribusAgapanthiini Mulsant, 1839
GenusAgapanthia Audinet-Serville, 1835
SubgenusEpoptes Gistl, 1857
SpeciesAgapanthia (Epoptes) dahli (Richter, 1821)
SubspeciesAgapanthia (Epoptes) dahli persica Semenov, 1893