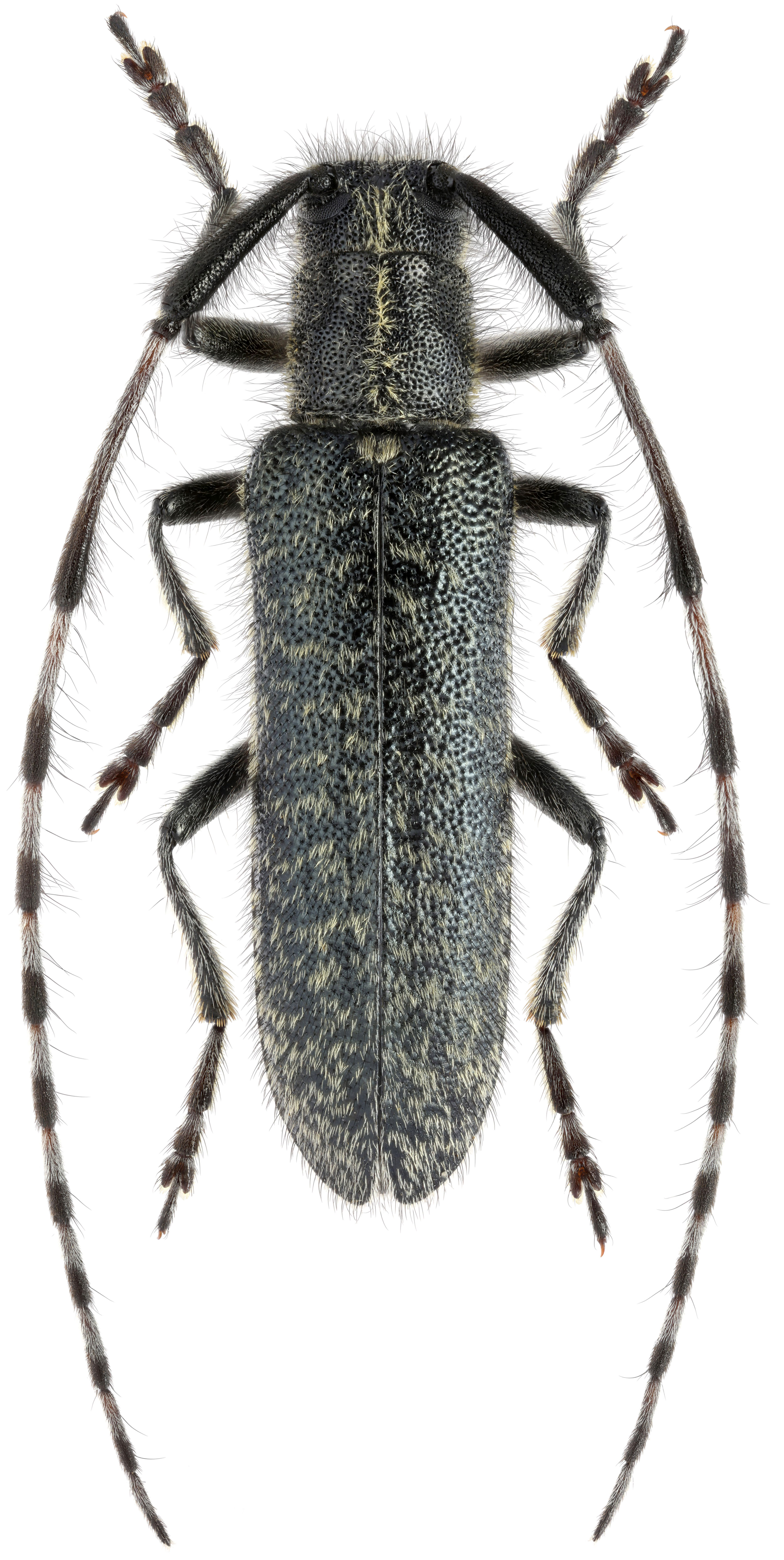
Agapanthia (Epoptes) daurica Ganglbauer, 1884
ssp. daurica Ganglbauer, 1884
Subfamilia: LAMIINAE / Tribus: AGAPANTHIINI
[Photo © Evgeniy V. Komarov]
ssp. daurica Ganglbauer, 1884
Subfamilia: LAMIINAE / Tribus: AGAPANTHIINI
[Photo © Kirill V. Makarov, click on the picture for 4K resolution] |
|
[Photo © Evgeniy V. Komarov]
| Subfamilia | Lamiinae Latreille, 1825 |
| Tribus | Agapanthiini Mulsant, 1839 |
| Genus | Agapanthia Audinet-Serville, 1835 |
| Subgenus | Epoptes Gistl, 1857 |
| Species | Agapanthia (Epoptes) daurica Ganglbauer, 1884 |
| Subspecies | Agapanthia (Epoptes) daurica daurica Ganglbauer, 1884 |

