Alosterna (Alosterna) ingrica (Baeckmann, 1902)
[= Grammoptera erythropus ingrica Baeckmann, 1902]

Subfamilia: LEPTURINAE  /  Tribus: LEPTURINI
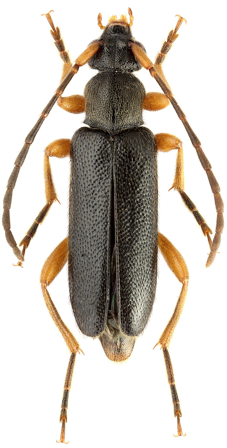
Alosterna ingrica

[Photo © Maxim E. Smirnov]

Alosterna ingrica, a very rare species distributed from the North-Eeastern Europe to Western Siberia (Sibero-European chorotype), has been described from St. Petersburg region (Russia) as Grammoptera ingrica by Julius Ivanovitch Baeckmann in 1902 [✮]. The larval development is not known, it will probably be analogous to that of related taxa of the genus Alosterna or Grammoptera. Adults, active in May and June, are diurnal and anthophilous (can be found on flowers, especially on Apiaceae and Rosaceae) [✧][❖].

Body length:♂ 6.0 - 8.5 mm / ♀ 7.5 - 9.0 mm
Life cycle:unknown
Adults in:May - June
Host plant:unknown, probably in decazing wood of deciduous trees
Distribution:Belarus, Russia (European Territory), Estonia, Latvia, Lithuania, Poland, Slovakia [▿], Ukraine, West Siberia


The depicted beetle was collected on the banks of the river Lukh (Лух) in Pureshka (Пурешка) village environs in (Pestyakovsky district, Ivanovo Oblast, Central Federal District, Russia) on June 24-25, 2011.

Collected by Maxim E. Smirnov


[✮]
Baeckmann J.I.:
Beschreibung einer neuen Art der Gattung Grammoptera Serv. aus dem St. Petersburger Gouvernement (Coleoptera, Cerambycidae).
Annuaire du Musée Zoologique de l'Académie Impériale des Sciences de Saint-Petersbourg 7: 280-282, 1902 [download pdf icon]

[✧]
Danilevsky M.L.:
Longicorn beetles (Coleoptera, Cerambycoidea) of Russia and adjacent countries. Part 1.
Higher School Consulting, Moscow, 550pp [pages 230-231], 2014. [download pdf icon]

[❖]
Tamutis V. and Alekseev V.:
A survey of Lepturinae Latreille, 1802 (Coleoptera: Cerambycidae) of the south-eastern Baltic region (Lithuania and the Kaliningrad Region).
Biologija 66 (4): 169-235, 2020. [download pdf icon]

[▿]
Vartanis J.:
Alosterna ingrica Baeckmann, 1902 (Coleoptera: Cerambycidae), confırmed new occurrence in Slovakia.
Munis Entomology & Zoology 19 (1): 31-34, 2024. [download pdf icon]

Sláma M.E.F.:
Tesaříkovití – Cerambycidae České republiky a Slovenské republiky
[ Cerambycidae of the Czech Republic and Slovak Republic ]
Milan Sláma private printing, Krhanice, 383pp [page 224], 1998 [ISBN: 80-238-2627-1]. [download pdf icon]



 
SubfamiliaLepturinae Latreille, 1802
TribusLepturini Latreille, 1802
GenusAlosterna Mulsant, 1863
SubgenusAlosterna Mulsant, 1863
SpeciesAlosterna ingrica (Baeckmann, 1902)