Anaglyptus  (Aglaophis) colobotheoides, a species occuring in North-East Asia (Russian Far East, Japan, Korea, China), has been described as Aglaophis colobotheoides
from Sapporo environs by Henry Walter Bates in 1884 [❖]. The species is ecologically associated with deciduos forests, larvae develop in dead/dying wood
of deciduous trees (in Russian Far east in Maakia, Αcer, Padus, Prunus, Fraxinus). Larvae feed in upper layer of sapwood,
make longitudinal, often meandering galleries, and fill them compactly with frass. Larvae create shallow (in depth 2-7 mm) pupal cells longitudinal to trunk,
prepare outlet to surface of trunk and pupate. The first winter of the 2-year developmental cycle overwinter larvae, the second one freshly hatched adults.
Emergence of beetles from mid-May to July (peak in June), adults can be found on the host trees and occasionally visit also flowers [✧].
| Body length: | 11 - 14 mm | 
| Life cycle: | 2 years | 
| Adults in: | May - July | 
| Host plant: | polyphagous in deciduous trees (Maakia, Αcer, Padus, Prunus, Fraxinus etc.) | 
| Distribution: | Russian Far East, Japan, Korea, NE China | 
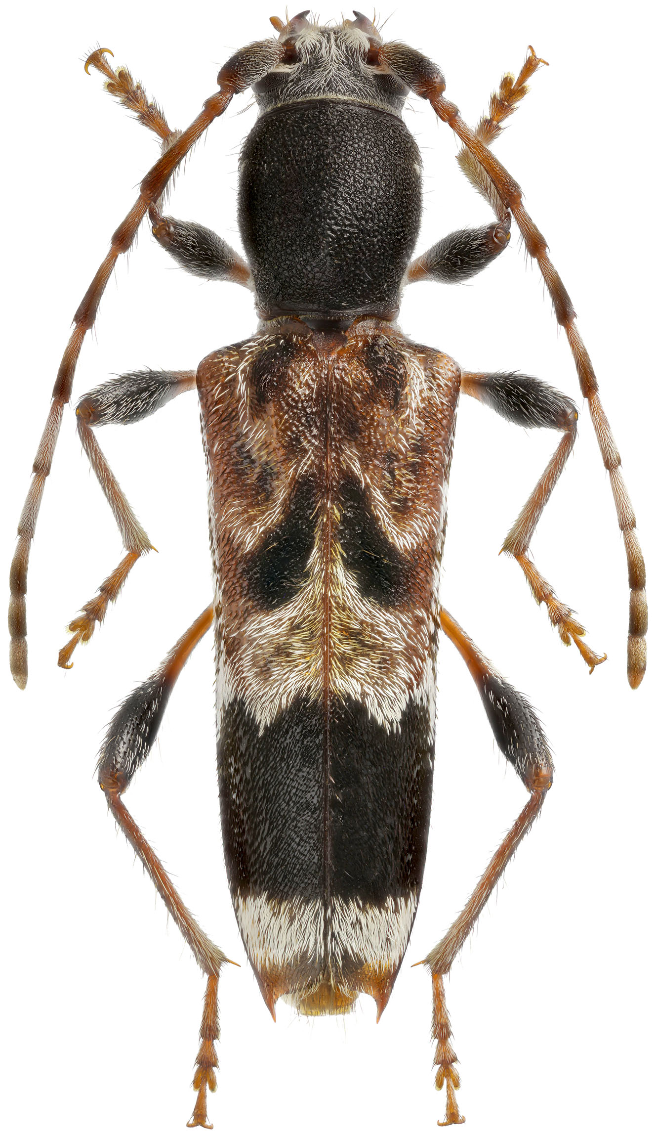
The depicted female beetle was collected at Kamenystyi (Каменистый) creek / Listvennichnaya (Лиственничная) river (N43°34′25″ E131°18′53″; 500-550 m a.s.l, Borisovskoye Plateau,
South of Primorsky krai, Far Eastern Federal District, Russia) on May 29, 2019.
Collected by Yu.Sudnikov
[❖]
Bates H.W.:
Longicorn beetles of Japan. Additions, chiefly from the later collections of Mr. George Lewis; and notes on the synonymy, distribution, and habits
on the previously known species.
The Journal of the Linnean Society of London. Zoology 18: 205-262, 1884.
[download  ]
]
[✧]
Cherepanov A.I.:
Cerambycidae of Northern Asia, Volume 2 - Cerambycinae Part II.
Amerind Publishing, New Delhi: 354pp [pages 284-291], 1988.
[download  ]
]