Anaglyptus zappii, a rare species endemic to South Italy, has been described from Potenza province by Pierpaolo Rapuzzi and Gianfranco Sama in 2014 [▽].
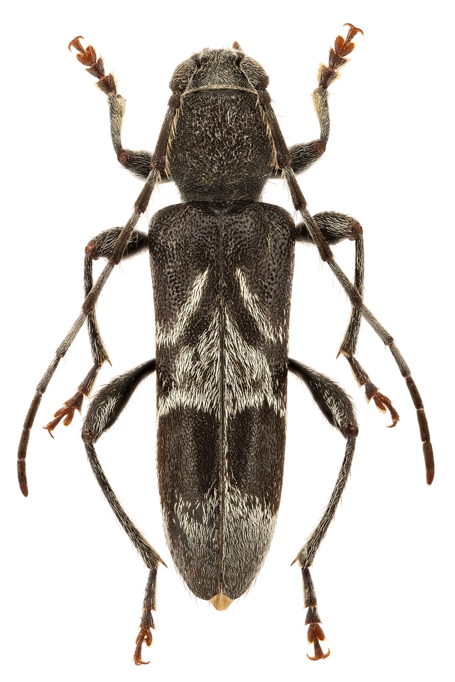
A. zappii, a sister species of Anaglyptus mysticus (Linnaeus, 1758), can be easily distinguished
by the absence of teeth on the third and fourth antennal joints. The elytral pattern is formed by more/less fused white strips, well divided in A. mysticus.
The elytral apex is truncate instead rounded as in A. mysticus. The holotype was reared from larva found in Fagus sylvatica, biology of the species will be
probably very similar to A. mysticus.
| Body length: | 8 - 12 mm | 
| Life cycle: | 2 years [?] | 
| Adults in: | May - August | 
| Host plant: | probably polyphagous in deciuous trees, reared from Fagus sylvatica | 
| Distribution: | an endemic species  to South Italy (Basilicata, Campania, Calabria) | 
The depicted beetle (paratype) was collected in La Maddalena restaurant environs (1400 m a.s.l., Abriola, Potenza province, Basilicata, Italy) on June 1, 2008.
Collected by F. Angelini
[▽]
Rapuzzi P. and Sama G.:
Descriptions of nine new species of longhorn beetles (Coleoptera: Cerambycidae).
Munis Entomology & Zoology 9 (1): 1-16, 2014.
[download  ]
]