Anastrangalia dubia, a widely distributed montane species occuring in Europe, Mediterranean basin, Asia Minor and Caucasus/Transcaucasia, has been described from Carniola (Slovenia) as Leptura Dubia
by Giovanni Antonio Scopoli in 1763 [▽]. One of its three known subspecies, A. dubia moreana endemic to Peloponnese (Greece), has been described from Taygetos Mts. as Leptura dubia var. moreana by Maurice Pic in 1906 [❖].
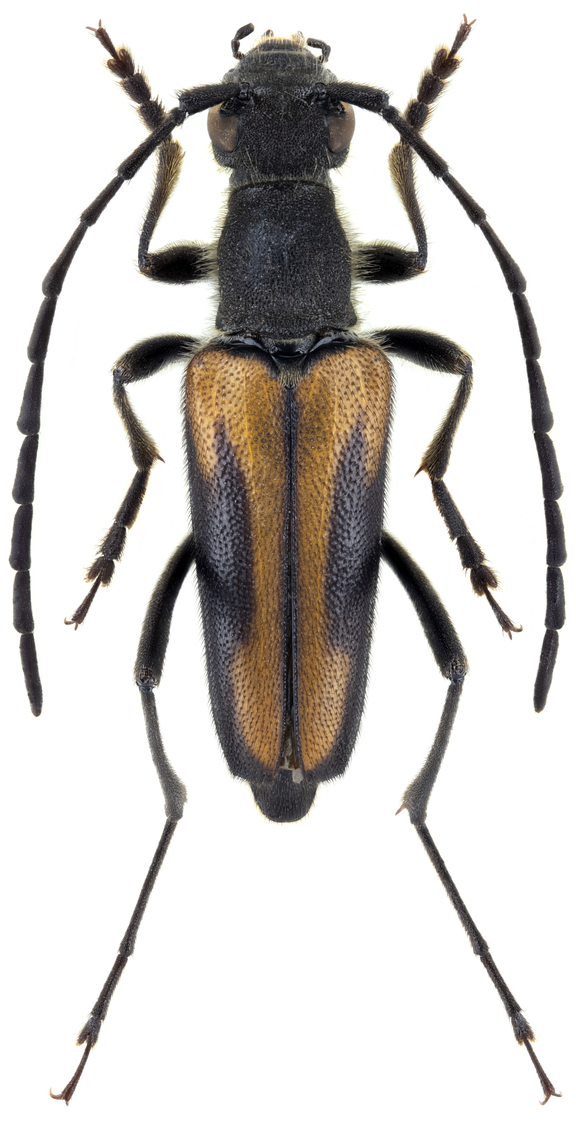
This interesting taxon was considered by many authors only as a synonym for the nominate subspecies, but according to Milan E.F. Sláma, in addition to a very different elytra color pattern in males, it is also a morphologically well-distinguished subspecies [✱].
A. dubia moreana larvae develop in decaying wood of coniferous trees, life cycle 2 years. Adults, active from end of May to July, are diurnal and anthophilous. 
             
                                          
| Body length: | 10 - 15 mm | 
| Life cycle: | 2 years | 
| Adults in: | late May - July | 
| Host plant: | polyphagous in coniferous trees (Abies cephalonica is probably preferred) | 
| Distribution: | an endemic subspecies of coniferous mountane forests in Peloponnese (Greece) | 
The depicted male beetle was neaten from a blossoming hawthorn (Crataegus) in Alonistena (Αλωνίσταινα) environs (1100-1200 m a.s.l.; Menalo Mts., Arcadia nomos, Peloponnese, Greece) on June 2, 2003.
Collected by Michal Hoskovec
[▽]
Scopoli G.A.:
Entomologia Carniolica exhibens Insecta Carniolæ indigena et distribua in ordines, genera, species, varietates. Methodo Linnæana.
Trattner, Vindobonae: 6 + i-xxiii + 421pp, 1763.
[download  ]
]
[❖]
Pic M.:
Notes entomologiques diverses (Suite).
L'Échange, Revue Linnéenne 22 (264): 96, 1906.
[download  ]
]
[✱]
Sláma M.E.F.:
Taxonomic remarks on some west-palaearctic longhorn beetles (Coleoptera, Cerambycidae) and description of a new subspecies.
Biocosme Mésogéen 32 (1-2): 33-50, 2015.
[download  ]
]