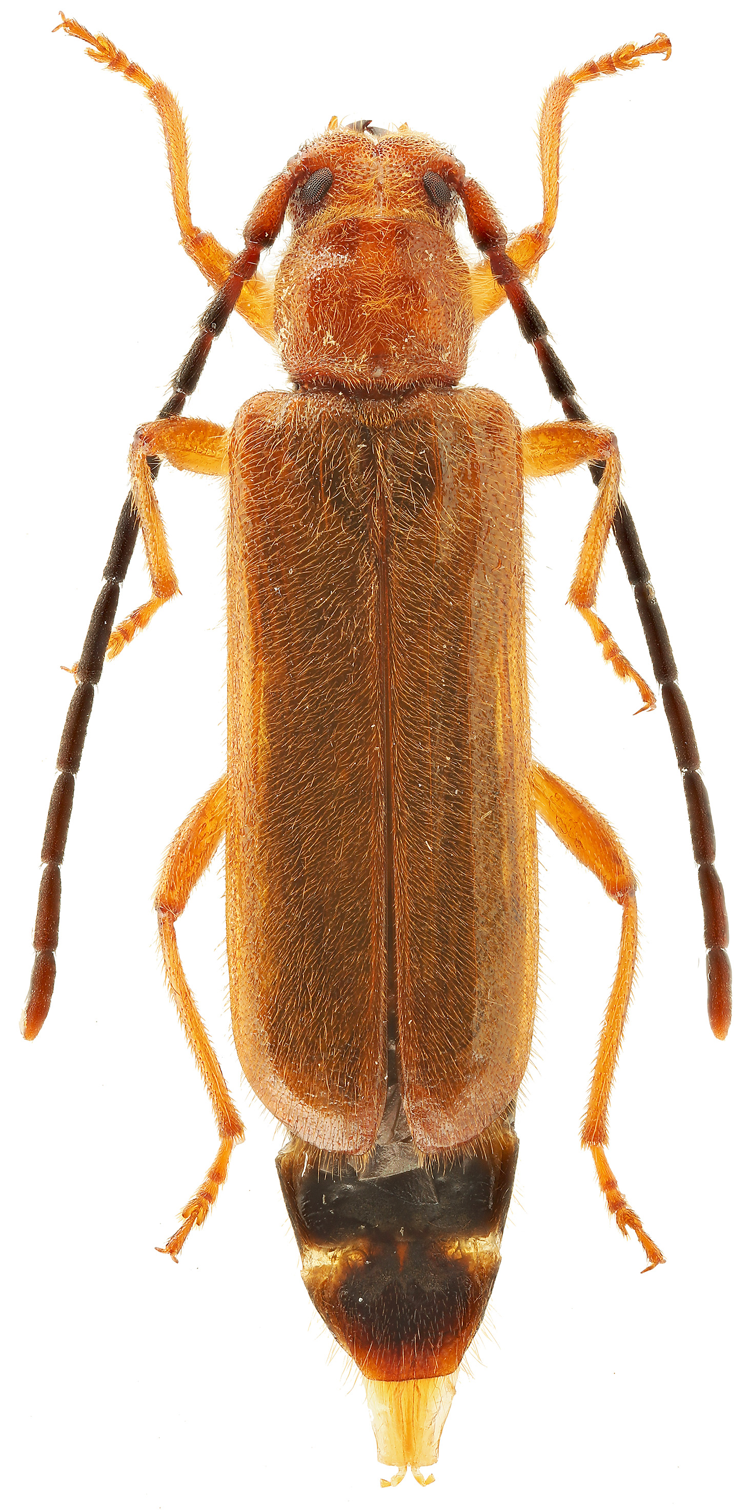
Anisarthron cyrus (Villiers, 1971)
[= Falsanoeme cyrus Villiers, 1971]

Subfamilia: SPONDYLIDINAE  /  Tribus: ANISARTHRONINI
Anisarthron cyrus

[Photo © Denis Kasatkin]



Anisarthron cyrus, an endemic species to Azerbaidjan and N Iran, develops analogously to its close relative Anisarthron barbipes (Schrank, 1781). Anisarthron cyrus is broadly polyphagous on deciduous trees preferring Fagus, Carpinus, Quercus, and Alnus. The limiting factor is the presence of a substrate convenient for its development. It comprises dead red-brown moist wood of wounded living trees (bases of dead branches, wounds in bark of trunks, etc.). The contact of the substrate with living tissue seems to be essential for the development of this beetle. The adult beetles are frequently found sitting on barkless wounds of living trees.

Body length:5 - 11 mm
Life cycle:2 - 3 years
Adults in:May - July
Host plant:polyphagous in deciduous trees
Distribution:Talysh (Azerbaidjan), NW Iran


The depicted mounted female beetle was collected in Golestan National Park (پارک ملی گلستان, Golestan province, North Iran) on May 25, 2016. The living beetle was found sitting on a wound of a living Acer species in Chālūs environs (Chālūs county, Māzandarān province, North Iran).

Collected by D.Kasatkin and M.Rejzek


Villiers A.:
Un nouveau Longicorne d'Iran, Falsanoeme cyrus, n. gen., n. sp.
L'Entomologiste, Paris 27 (6): 153-155, 1971. [download pdf icon]

Danilevsky M.L.:
Longicorn beetles (Coleoptera, Cerambycoidea) of Russia and adjacent countries. Part 1.
Higher School Consulting, Moscow, 550pp [page 364], 2014. [download pdf icon]


Anisarthron cyrus
Anisarthron cyrus
[Photo © M.Hoskovec]



 
SubfamiliaSpondylidinae Audinet-Serville, 1832
TribusAnisarthrini Mamaev et Danilevsky, 1973
GenusAnisarthron Dejean, 1835
SpeciesAnisarthron cyrus (Villiers, 1971)