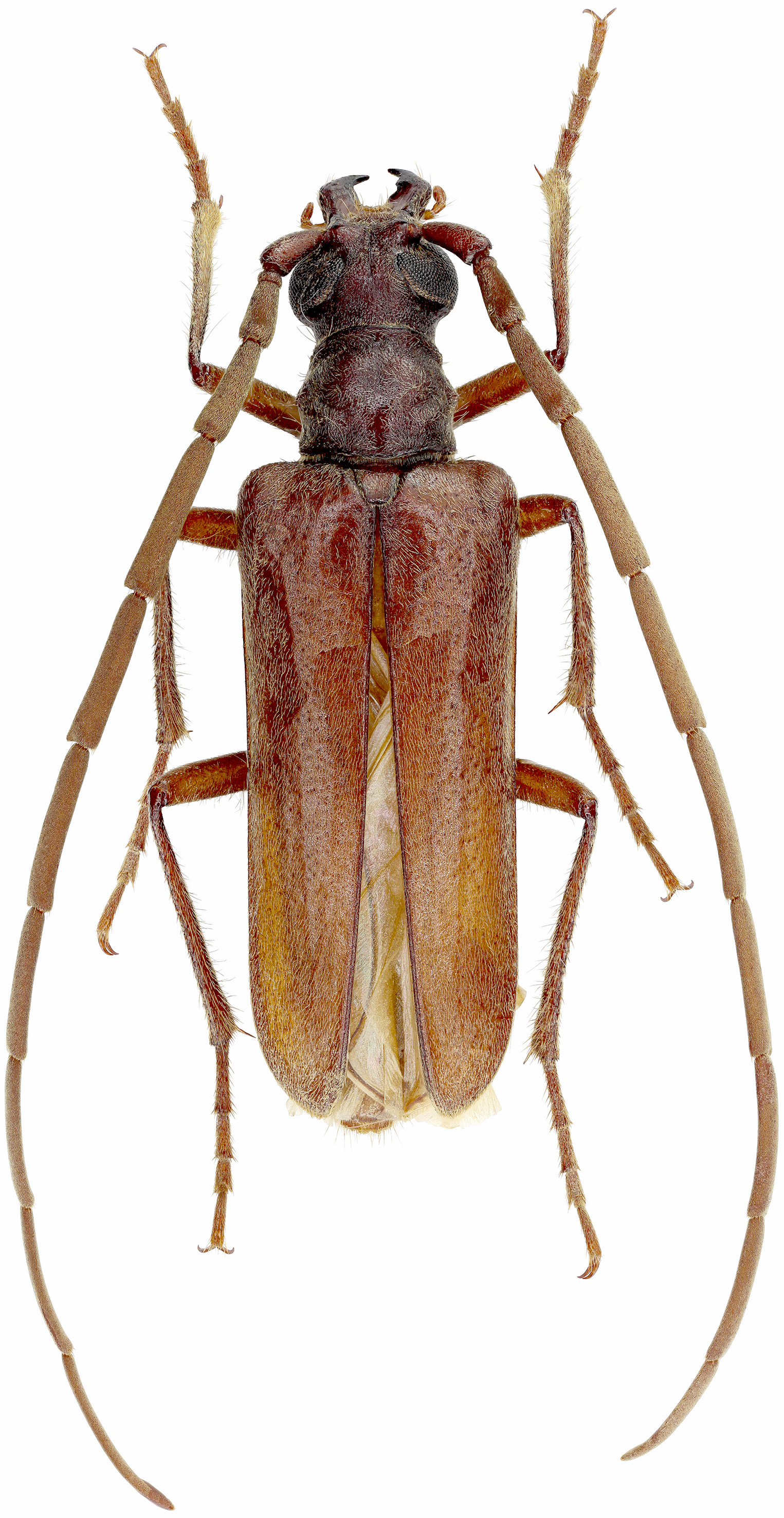
Apatophysis (Angustephysis) danczenkoi Danilevsky, 2006
Subfamilia: DORCASOMINAE / Tribus: APATOPHYSEINI
				
			Subfamilia: DORCASOMINAE / Tribus: APATOPHYSEINI
|   [Photo © Sergei O. Kakunin, click on the picture for 4K resolution] | 
 
 | 
                                              
| Subfamilia | Dorcasominae Lacordaire, 1869 | 
| Tribus | Apatophyseini Lacordaire, 1869 | 
| Genus | Apatophysis Chevrolat, 1860 | 
| Subgenus | Angustephysis Pic, 1956 | 
| Species | Apatophysis (Angustephysis) danczenkoi Danilevsky, 2006 | 
 
			