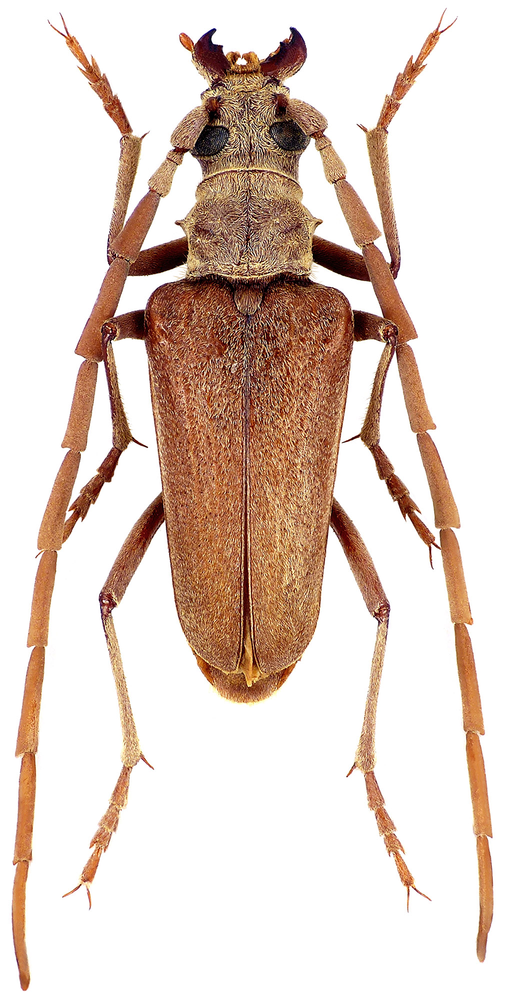
Apatophysis serricornis, a species known from China, Kazakhstan and Mongolia, has been described from "in deserto ad lac. Alakul" (which is in the reality one of bays of
Lake Balkhash in Kazakhstan) as Pachyta serricornis by Friedrich August Gebler in 1843 [▽]. Typical habitats of A. serricornis are desert and semidesert
landscapes of both basic types (sandy dunes or clay desert). Larvae develop in roots of desert shrubs and trees, confirmed is development in roots of Haloxylon. Adults,
active from June to August, are crepuscular [✧].
                                                                                  
| Body length: | ♂♂ 11.2 - 17 mm / ♀♀ 15.5 - 20.5 mm | 
| Life cycle: | 2 and more years | 
| Adults in: | June - August | 
| Host plant: | roots of desert shrubs and trees (e.g. Haloxylon) | 
| Distribution: | China, Kazakhstan, Mongolia | 
Depicted beetle was collected in sandy desert 50 km SW Dalaj (Gobi desert, Ömnögovi Province, Mongolia) on June 6, 2002.
Collected by S.Churkin
[▽]
Gebler F.A.:
Charakteristik der vom Hn. Dr. Schrenk im Jahre 1841 in den Steppen und Gebirgen der Songarei gefundenen neuen Coleopteren-Arten.
Bulletin de la Classe physico-mathématique de l'Académie impériale des sciences de St.-Pétersbourg 1 (1-3): 36-40, 1843.
[download  ]
]
[✧]
Danilevsky M.L.:
Apatophysis Chevrolat, 1860 (Coleoptera, Cerambycidae) of Russia and adjacent regions.
Studies and reports of District Museum Prague-East. Taxonomical Series 4 (1-2): 7-56, 2008.
[download  ]
]