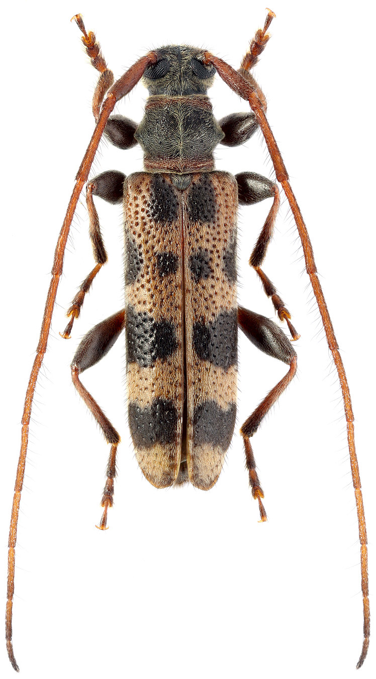
Arhopaloscelis bifasciata (Kraatz, 1879)
[= Rhopaloscelis bifasciatus Kraatz, 1879]
Subfamilia: LAMIINAE / Tribus: DESMIPHORINI
[= Rhopaloscelis bifasciatus Kraatz, 1879]
Subfamilia: LAMIINAE / Tribus: DESMIPHORINI
[Photo © Maxim E. Smirnov, click on the picture for 4K resolution] |
|
| Subfamilia | Lamiinae Latreille, 1825 |
| Tribus | Desmiphorini Thomson, 1860 |
| Genus | Arhopaloscelis Murzin, Danilevsky et Lobanov, 1981 |
| Species | Arhopaloscelis bifasciata (Kraatz, 1879) |

