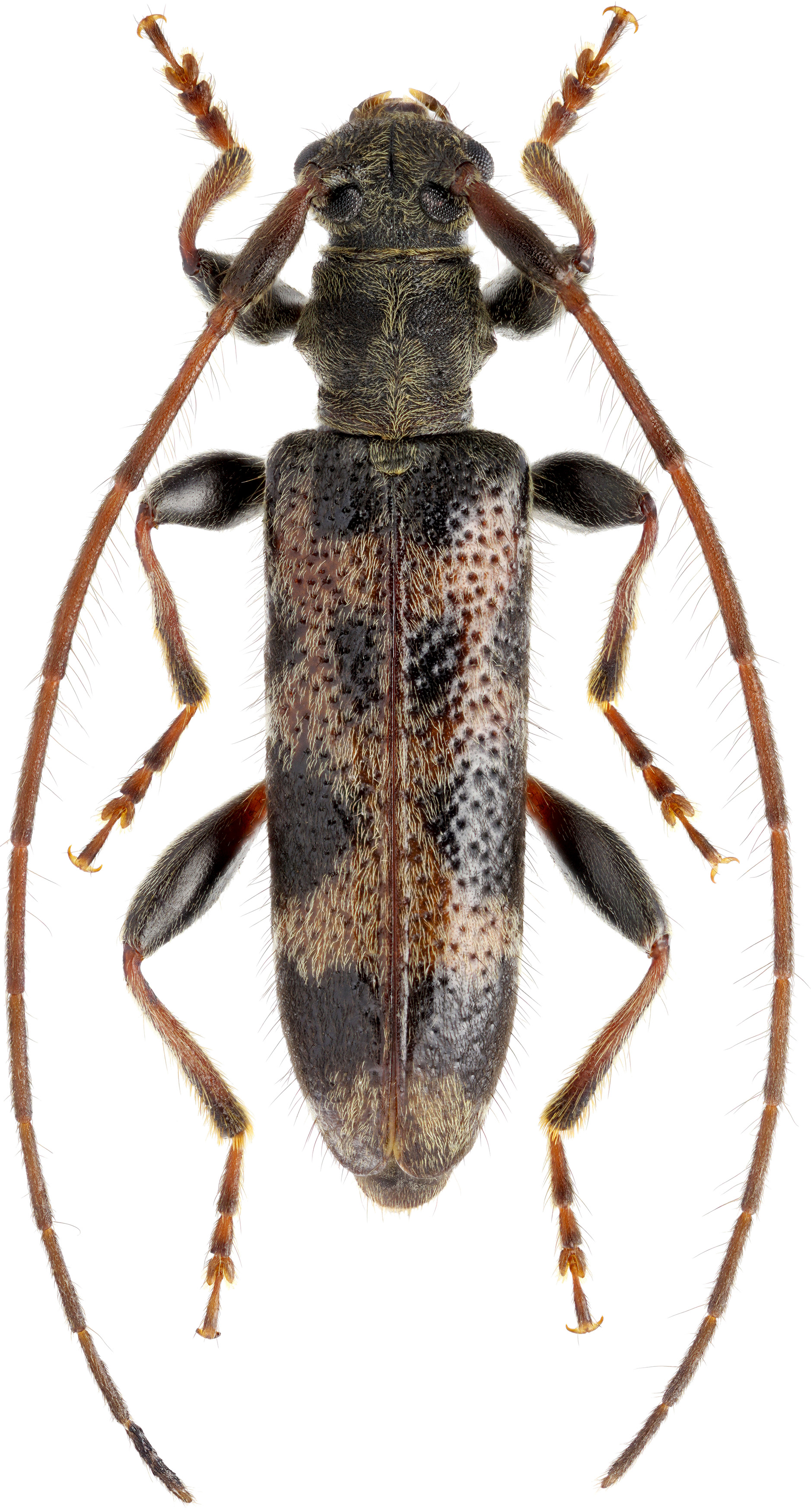
Arhopaloscelis nipponensis (Pic, 1932)
[= Rhopaloscelis nipponensis Pic, 1932]
Subfamilia: LAMIINAE / Tribus: DESMIPHORINI
[= Rhopaloscelis nipponensis Pic, 1932]
Subfamilia: LAMIINAE / Tribus: DESMIPHORINI
[Photo © Kirill V. Makarov, click on the picture for 4K resolution] |
|
| Subfamilia | Lamiinae Latreille, 1825 |
| Tribus | Desmiphorini Thomson, 1860 |
| Genus | Arhopaloscelis Murzin, Danilevsky et Lobanov, 1981 |
| Species | Arhopaloscelis nipponensis (Pic, 1932) |

