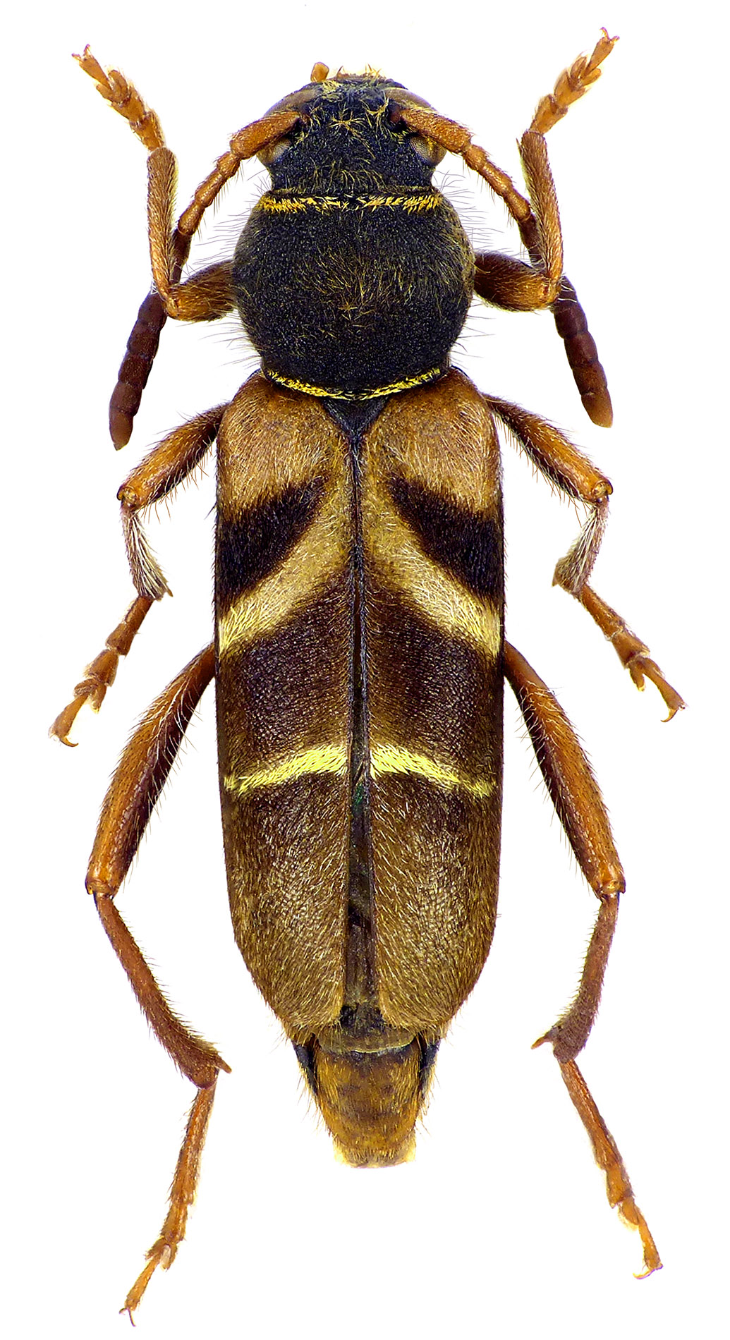
Brachyclytus singularis, a species occuring in North-East Asia (Russia, China, Korea and Japan), has been described from East Siberia as Clytus (Brachyclytus) singularis
by Gustav Kraatz in 1879 [❖]. This interesting species inhabits broad-leaved forests and is ecologically associated with grape (Vitis). Beetles emerge from May to June, do
not visit flowers, but during this period can be found on branches of grape, where mating takes place. Larval development in thin grape branches up to 2 cm in diameter (very rarely
in thicker) [✧]. 
| Body length: | 8 - 13 mm | 
| Life cycle: | 1 year | 
| Adults in: | May - June | 
| Host plant: | grape (Vitis spp.) | 
| Distribution: | Russia (Siberia and Far East), China, Korea, Japan (Hokkaido, Honshu) | 
The depicted beetle was collected in Azusayama (Kawakami, Minamisaku district, Nagano prefecture, Japan) on June 9, 2010.
                       
Collected by Takao Arai
 
[❖]
Kraatz G.:
Ueber die Bockkäfer Ost-Sibiriens, namentlich die von Christoph am Amur gesammelten.
Deutsche entomologische Zeitschrift, Berlin 23 (1): 77-117, 1879.
[download  ]
]
[✧]
Cherepanov A.I.:
Cerambycidae of Northern Asia, Volume 2 - Cerambycinae Part II.
Amerind Publishing, New Delhi: 354pp [pages 139-145], 1988.
[download  ]
]