Chloridolum viride, an East-Palaearctic taxon occuring in Russian far East, Japan, China and Korea, has been described from East Asia as Leontium viride by James Thomson in 1864 [▽].
Ch. viride, a species inhabiting coniferous and mixed coniferous-broadleaves forests, is polyphagous beetle but in Russian Far East prefers spruce (Picea).
Massive reproduction zones of this species have been found in unkept forests containing cut, wind-fallen, and snow-crushed trees. Larvae feed subcortically, the  sinuous larval gallery are deeply impressed
on sapwood and plugged with fine frass. Mature larvae enter the wood up to 3 cm, create longitudinal gallery there, and do not close it with frass. Pupation (after the second overwintering) in the pupal
cell located at the end of the gallery and sealed by small plug of fine frass. Life-cycle 2 years. Adults, active in the second half of summer (July-August), are diurnal and anthophilous [✧].
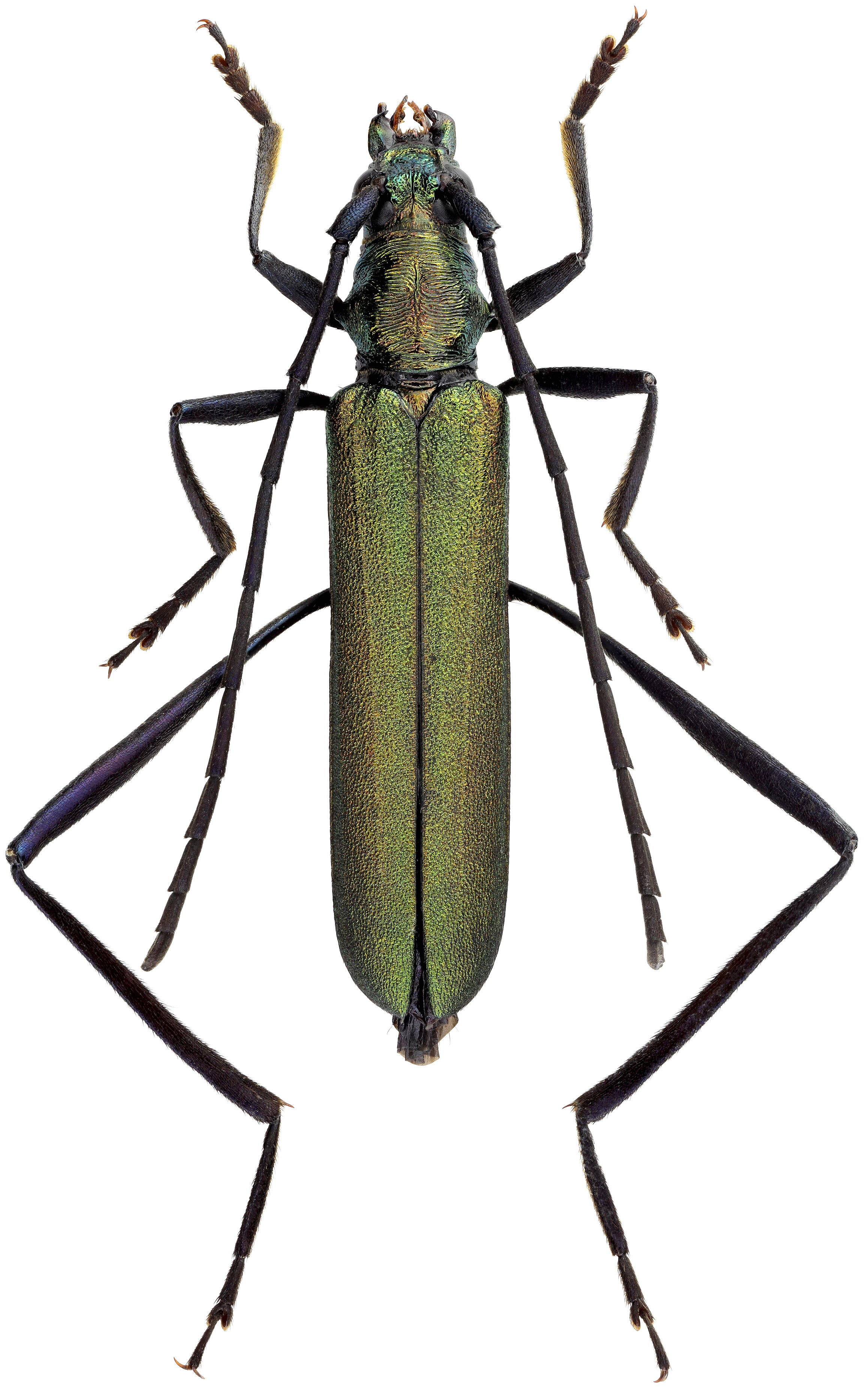
| Body length: | 14 - 18 mm | 
| Life cycle: | 2 years | 
| Adults in: | July - August | 
| Host plant: | polyphagous in both coniferous and deciduous trees, in Russian Far East prefers spruce (Picea) | 
| Distribution: | Russian Far East, Japan, China, Korea | 
Depicted mounted beetle (14.5 mm) was collected in Novo-Aleksandrovsk (Ново-Александровск) environs (Yuzhno-Sakhalinsk, Sakhalin oblast, Far Eastern Federal District, Russia) on June 30, 2013.
Collected by A.Krjukov (in Sergei O. Kakunin collection)
[▽]
Thomson J.:
Systema Cerambycidarum ou exposé de tous les genres compris dans la famille des Cérambycides et familles limitrophes.
Mémoires de la Société Royale des Sciences de Liège 19: 1-540, 1864.
[download  ]
]
[✧]
Cherepanov A.I.:
Cerambycidae of Northern Asia, Volume 2 - Cerambycinae Part I.
Amerind Publishing, New Delhi: 304pp [pages 134-140], 1988.
[download  ]
]