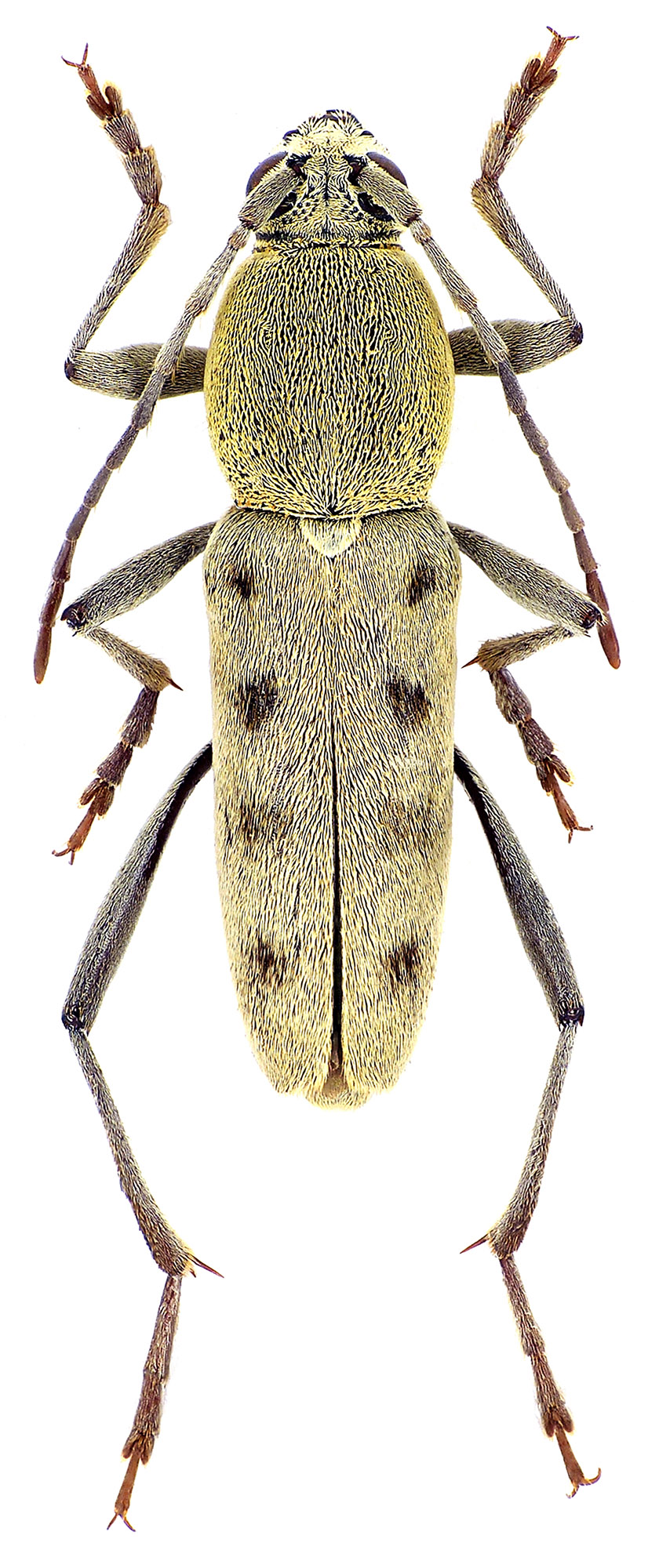
Chlorophorus faldermanni, a species with a large area of distribution from China to South Russia through Central Asia, has been described from Transcaucasia as Clytus Faldermanni
by Franz Faldermann in 1837 [❖]. Ch. faldermanni is polyphagous on deciduous trees, in majority on poplars (Populus) and willows (Salix), although it also attacks
Tamarix, Eleagnus, Ulmus and Pirus. Its larvae also develop in wooden structures, which makes this species one of the most serious pests of timber in Central Asia.
Life cycle from one to two years. Adults, which are active from May to September, are frequent flowers visitors (especially Apiaceae) [✧].
| Body length: | 8 - 18 mm | 
| Life cycle: | 2 years | 
| Adults in: | May - September | 
| Host plant: | polyphagous in deciduous trees (Populus, Salix, Tamarix, Eleagnus, Ulmus, Pirus) | 
| Distribution: | Russia, Afghanistan, Tajikistan, Iran, China, Mongolia | 
The depicted beetle was collected in Baltakol' (Балтакөл) environs (179 m a.s.l., Kyzylkum Desert, Suzak district, Jalal-Abad region, Kazakhstan).
Collected by A.Shapovalov
 
[❖]
Faldermann F.:
Fauna entomologica Transcaucasica. Coleoptera 2. Longicornes vel Capricornes.
Nouveaux Mémoires de la Société Impériale des Naturalistes de Moscou 5: 1-433, 1837.
[download  ]
]
[✧]
Kadyrov A.K., Karpiński L., Szczepański W. T., Taszakowski A. & Walczak M.:
New data on distribution, biology, and ecology of longhorn beetles from the area of west Tajikistan (Coleoptera, Cerambycidae).
ZooKeys 606: 41-64, 2016.
[download  ]
]