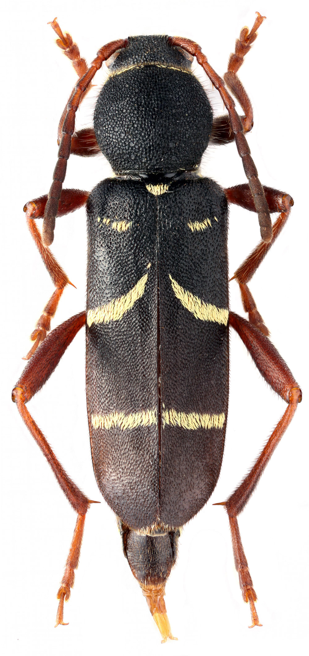
Clytus arietoides, a North-Asian species of coniferous forests distributed from Russia (Urals) to Japan, has been described from Siberia as Clytus (Sphegestes) arietoides by Edmund Reitter in 1900 [❖].
C. arietoides larvae develop in trunks and branches of dying, dead, uprooted or freshly felled conifers (especially in Larix sibirica). After two years, the larvae pupate in wood during summer and the
adults emerge the next spring. Adults, active from May to August, can be found on the host trees or occasionally on flowers [▽][✧].
| Body length: | 8 - 14 mm | 
| Life cycle: | 2 years | 
| Adults in: | May - August | 
| Host plant: | polyphagous in coniferous trees (Larix, Picea, Abies, Pinus) | 
| Distribution: | Russia, China, Japan, Kazakhstan, Korean, Mongolia | 
The depicted beetle was captured close to Bolshaya Osinovka (Большая Осиновка) river source near the Osinovskij Golec Mt. (Осиновский голец, 1400-1600 m a.s.l., 10 km S of Baykalsk, Khamar-Daban mountain ridge, Baikal Nature Reserve,
Slyudyansky district, Irkutsk oblast, Siberian federal district, Russia) on July 20, 2009.
Collected by Yu. Sundukov aand L. Sundukova.
 
[❖]
Reitter E.:
Neue Coleopteren aus Europa und den angrenzenden Ländern, russich Asien und der Mongolei.
Deutsche entomologische Zeitschrift, Berlin 44 (3-4) [1899]: 273-281, 1900.
[download  ]
]
[▽]
Cherepanov A.I.:
Cerambycidae of Northern Asia, Volume 2 - Cerambycinae Part II.
Amerind Publishing, New Delhi: 354pp [pages 105-112], 1988.
[download  ]
]
[✧]
Karpiński L., Szczepański W.T., Boldgiv B. and Walczak M.:
New data on the longhorn beetles of Mongolia with particular emphasis on the genus Eodorcadion Breuning, 1947 (Coleoptera, Cerambycidae).
ZooKeys 739: 107-150, 2018.
[download  ]
]