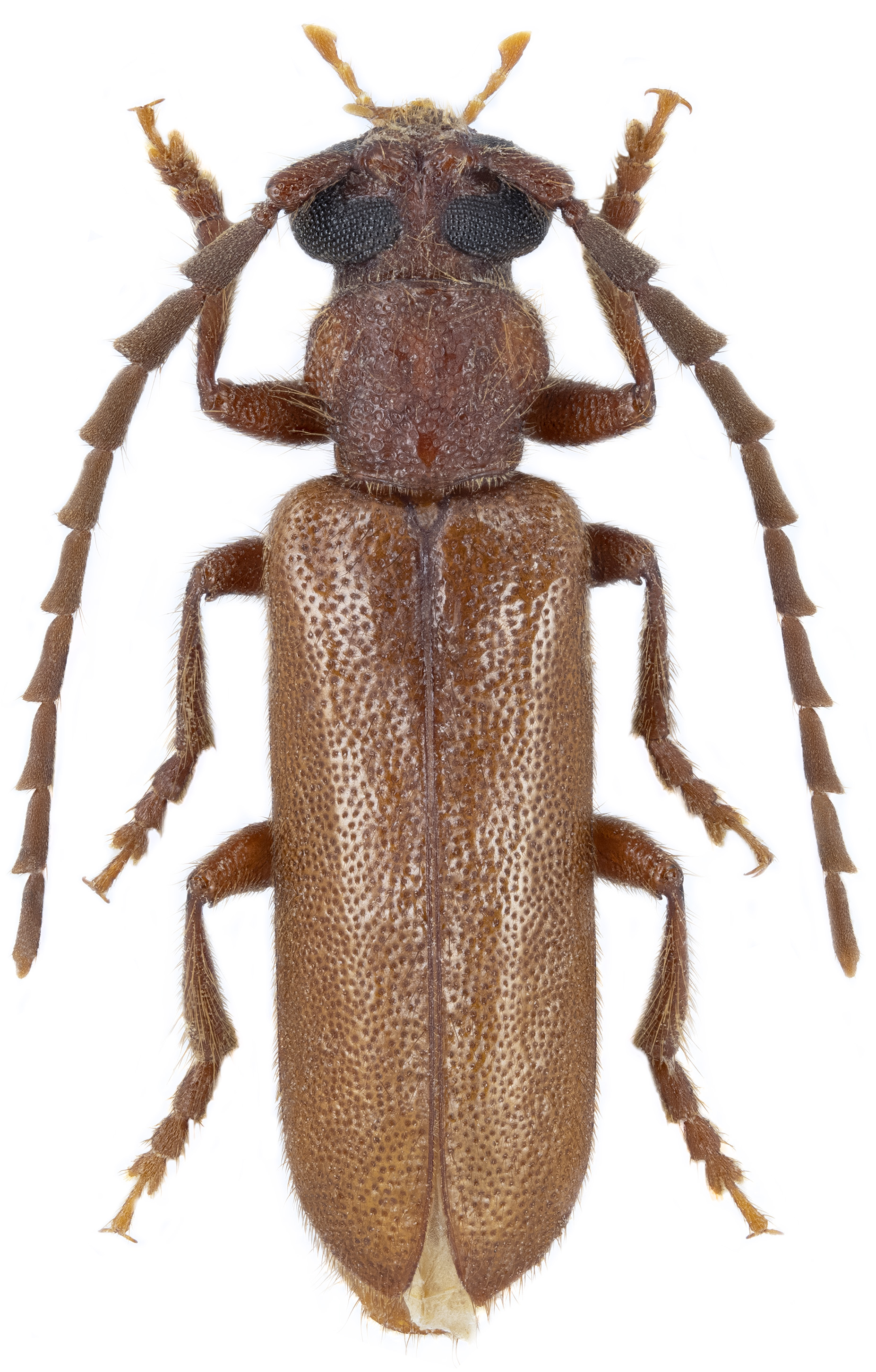
Daramus major major, a rare nominotypical subspecies endemic to Egypt, has been described as Tetropiopsis major from Sinai (Egypt) by Maurice Pic 1924 [❖].
Species of the genus Daramus are typical inhabitants of the entomocenosis of Vachellia (= Acacia) in Sahelian and Saharian arid biotopes [▽].
The correct position of genus Daramus in family Cerambycidae tree is stiil questionable (tribes Saphanini or Hesperophanini) and opinions differ author from author.
| Body length: | 10 - 17 mm | 
| Life cycle: | 2 years [?] | 
| Adults in: | April - May | 
| Host plant: | Vachellia tortilis raddiana (= Acacia raddiana) | 
| Distribution: | a subspecies endemic to Egypt (Sinai) | 
The depicted mounted beetle was reared from a living twig of Vachellia tortilis raddiana collected in Ras Muhammad National Park
(116 m a.s.l., N27°50′3″ E34°13′43″, Sharm El-Sheikh environs, South Sinai Governorate, Egypt) on June 19, 2005.
Collected by Daniele Baiocchi (Petr Kabátek in coll.)
[❖]
Pic M.:
Coléoptères exotiques en partie nouveaux (Suite.).
L'Échange, Revue Linnéenne 39 (418): 30-32, 1924.
[download  ]
]
[▽]
Sama G. and Rapuzzi P.:
Preliminary report on a recent survey of the Egyptian Cerambycidae, with description of three new species (Insecta Coleoptera Cerambycidae).
Quaderni di Studi e Notizie di Storia Naturale della Romagna 23: 179-194, 2006.
[download  ]
]
Adlbauer K.:
Zur Synonymie nordafrikanischer Daramus-Arten (Coleoptera, Cerambycidae, Hesperophanini).
Les Cahiers Magellanes 9: 1-6, 2012.
Sama G.:
Les genres Daramus Fairmaire et Tetropiopsis Chobaut en Afrique du Nord (Coleoptera, Cerambycidae, Hesperophanini).
L'Entomologiste 50 (3): 169-180, 1994. 
[download  ]
]