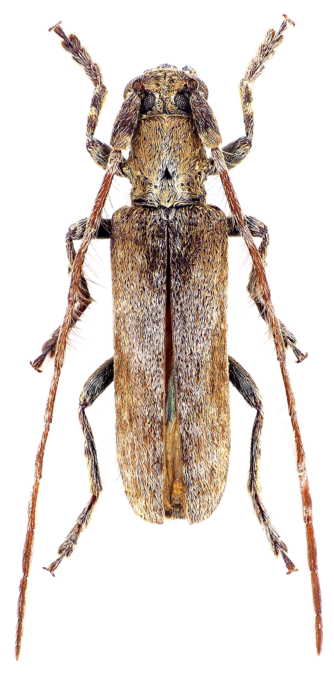
Deroplia (Deroplia) niveopicta (Demelt, 1982)
[= Stenidea niveopicta (Demelt, 1982)]
Subfamilia: LAMIINAE / Tribus: DESMIPHORINI
[Photo © M.Rejzek]
[= Stenidea niveopicta (Demelt, 1982)]
Subfamilia: LAMIINAE / Tribus: DESMIPHORINI
[Photo © David Navrátil] |
|
[Photo © M.Rejzek]
| Subfamilia | Lamiinae Latreille, 1825 |
| Tribus | Desmiphorini Thomson, 1860 |
| Genus | Deroplia Dejean, 1835 |
| Subgenus | Deroplia Dejean, 1835 |
| Species | Deroplia (Deroplia) niveopicta (Demelt, 1982) |
