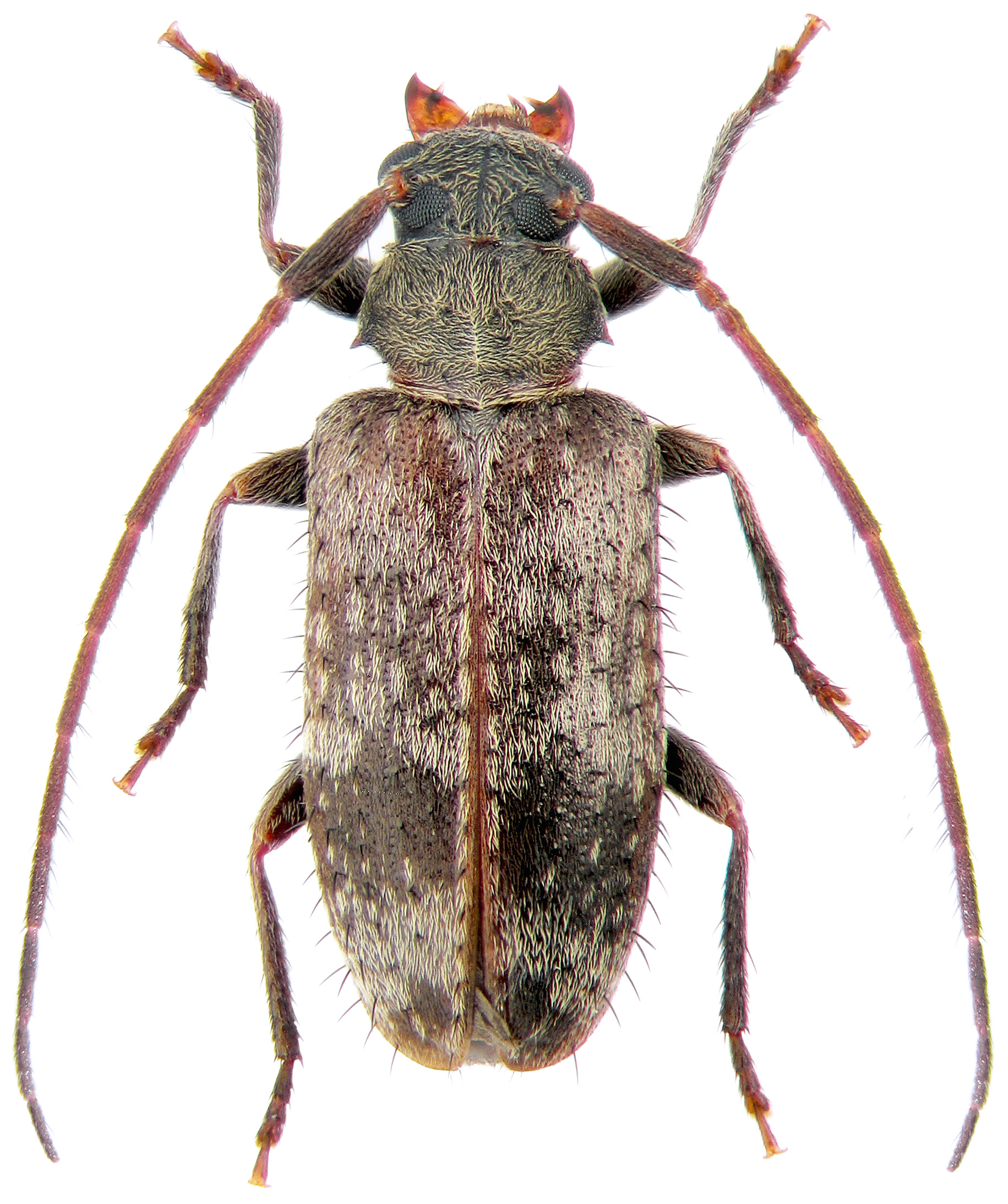
Exocentrus (Exocentrus) fasciolatus Bates, 1873
ssp. plavilstshikovi Danilevsky, 2014


Subfamilia: LAMIINAE  /  Tribus: EXOCENTRINI
Exocentrus fasciolatus plavilstshikovi
[Photo © Kirill V. Makarov]

Exocentrus fasciolatus, an endemic species to Japan, has been described by Henry Walter Bates in 1873 [✧]. Its continental subspecies (occuring in Russian Far East, North-East China and Korea), Exocentrus (Exocentrus) fasciolatus plavilstshikovi, has been described from Primorsky Region by Mikhail Leontievich Danilevsky in 2014 [❖]

Body length:3 - 5 mm
Life cycle:1 - 2 years
Adults in:May - July
Host plant:polyphagous on deciduous trees
Distribution:Russian Far East, North-East China, Korea


The depicted beetle was collected in Lazo (Лазо́) village environs (Lazovsky district, Primorsky Krai, Far Eastern Federal District, Russia) on July 23, 2005.

Collected by Kirill V. Makarov


[✧]
Bates H.W.:
On the Longicorn Coleoptera of Japan.
The Annals and Magazine of Natural History, London (4) 12 (71): 380-390, 1873. [download pdf icon]

[❖]
Danilevsky M.L.:
Two new Cerambycidae (Coleoptera) taxa from Russian Far East.
Humanity space - International Almanac 3 (4): 662-669, 2014. [download pdf icon]



 
SubfamiliaLamiinae Latreille, 1825
TribusExocentrini Pascoe, 1864
GenusExocentrus Dejean, 1835
SubgenusExocentrus Dejean, 1835
SpeciesExocentrus (Exocentrus) fasciolatus Bates, 1873
SubspeciesExocentrus (Exocentrus) fasciolatus plavilstshikovi Danilevsky, 2014