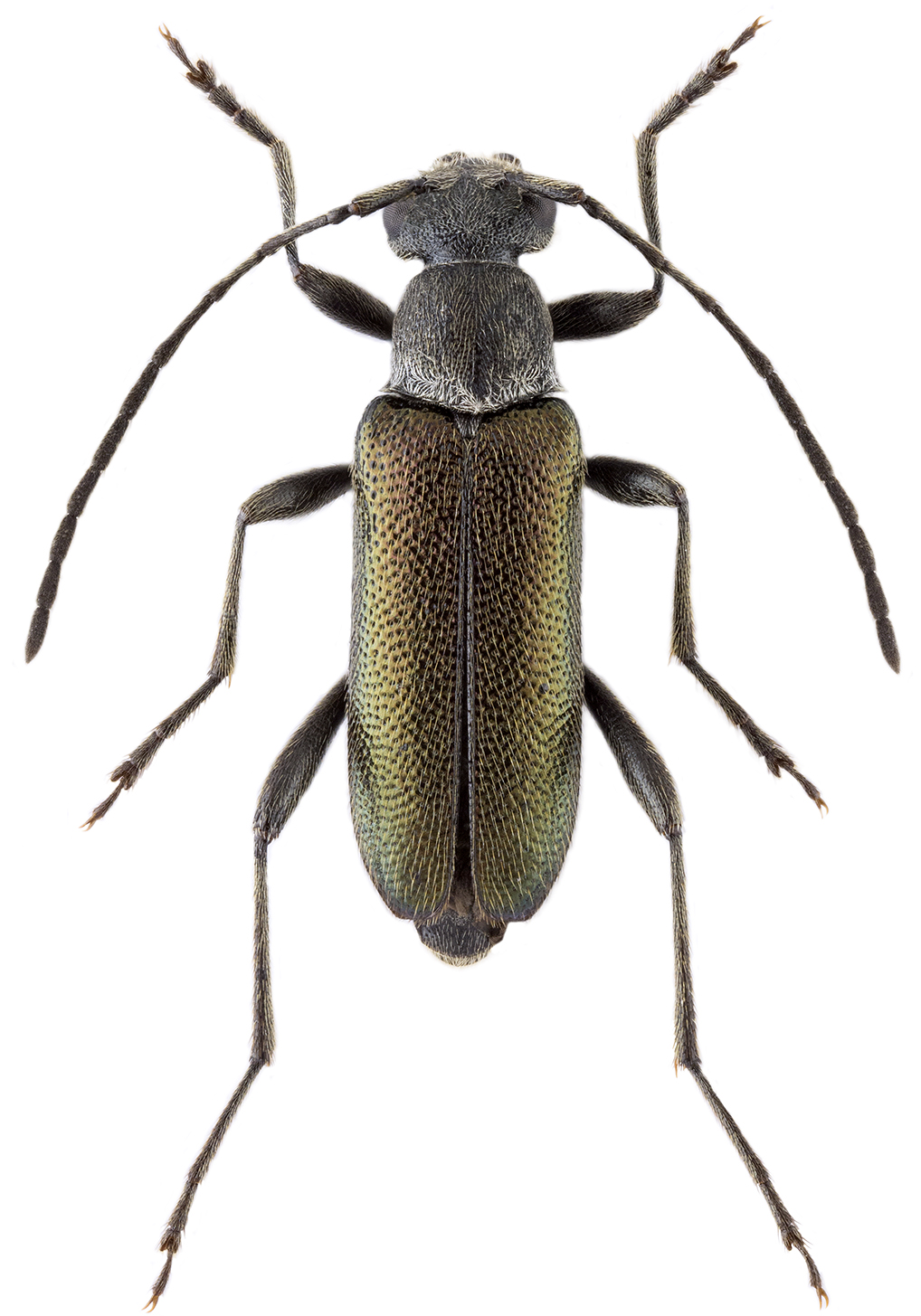
Nominative subspecies of Grammoptera baudii, taxon endemic to Cyprus, has been described by Gianfranco Sama in 1985 [❖].
| Body length: | 4 - 8 mm | 
| Life cycle: | 1 - 2 years | 
| Adults in: | March - April | 
| Host plant: | polyphagous in fungi infested branches of deciduous trees (e.g. Quercus) | 
| Distribution: | an endemic subspecies to Cyprus | 
The depicted beetle was beaten from blossoming shrubs of Pistacia
terebinthus in Peristerona (Περιστερώνα) village environs
(390 m, N34° 59.218′ E32° 29.307′; Paphos District, Cyprus) on April 11, 2008.
Collected by Michal Hoskovec
[❖]
Sama G.:
Description de Grammoptera baudii sp. n. de Chypre, et de Delagrangeus schurmanni sp. n. des Iles Canaries. (Coleóptera - Cerambycidae).
Biocosme Mésogéen 2 (3): 97-104, 1985.
[download  ]
]
Ambrus R., Grosser W. and Hrbek J.:
Contribution to the knowledge of longhorn beetles from Cyprus (Coleoptera: Cerambycidae).
Humanity space International Almanac 3 (2): 173-190, 2014.
[download  ]
]