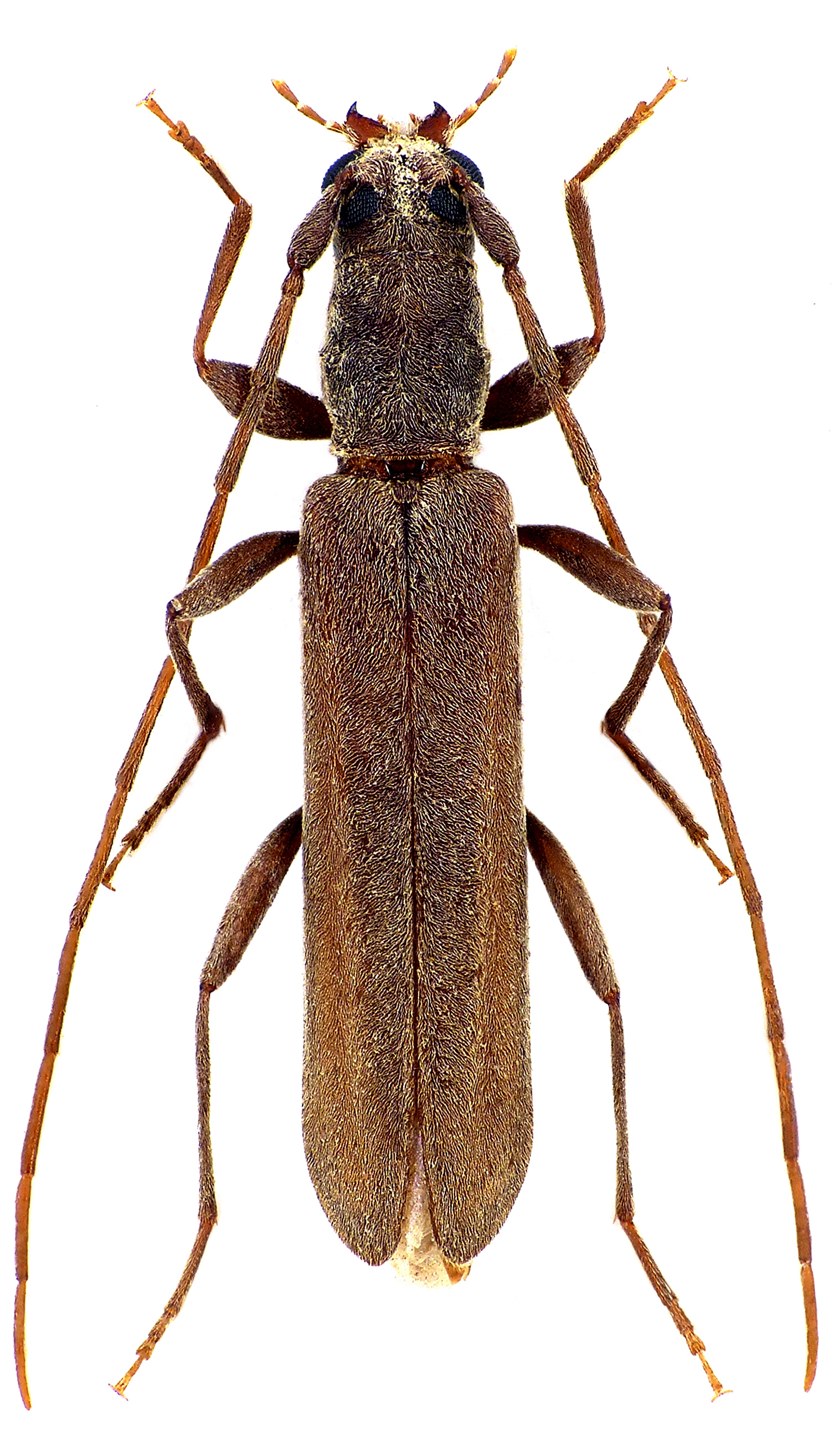
Kabatekiella dalihodi, a representative of the monotypic genus Kabatekiella (tribe Xystrocerini Blanchard, 1845),
was described from Soqotra island by Carolus Holzschuh in 2008 [❖]. Interestingly, both the genus and the species name are derived from the surnames
of two Czech etomologists, specialists in the family Cerambycidae - Petr Kabátek and Jaroslav Dalihod.
| Body length: | 4.5 - 11.8 mm | 
| Life cycle: | 1-2 years [?] | 
| Adults in: | February-March | 
| Host plant: | Calotropis sp., Croton socotranus | 
| Distribution: | Oman [✧], Yemen (Soqotra island) | 
The depicted specimen was reared from larva collected in Mirbāṭ (مرباط) environs (Wadi Hinna, Dhofar Governorate, South Oman) in January 27, 2017.
[❖]
Holzschuh C.:
Beschreibung von 60 neuen Bockkäfern und einer neuen Gattung aus der orientalischen Region, vorwiegend aus Laos und Borneo (Coleoptera, Cerambycidae).
Entomologica Basiliensa et Collectionis Frey 30: 149-241, 2008.
[download  ]
]
[✧]
Ambrus R. and Grosser W.:
Contribution to the knowledge of longhorn beetles from Dhofar region in sultanate of Oman (Coleoptera: Cerambycidae).
Humanity space International Almanac 1 (2): 448-457, 2012.
[download  ]
]