Leptura latipennis, an East-Palaearctic species occuring in Russia (Sakhalin, Kuril Islands) and Japan, has been described as Strangalia latipennis from Japan (Hokkaido and Honshu) by
Masaki Matsushita in 1933 [▽]. L. latipennis larvae develop in the decaying wood of various deciduous and coniferous trees. Pupation in wood in spring and early summer, life-cycle 2 years.
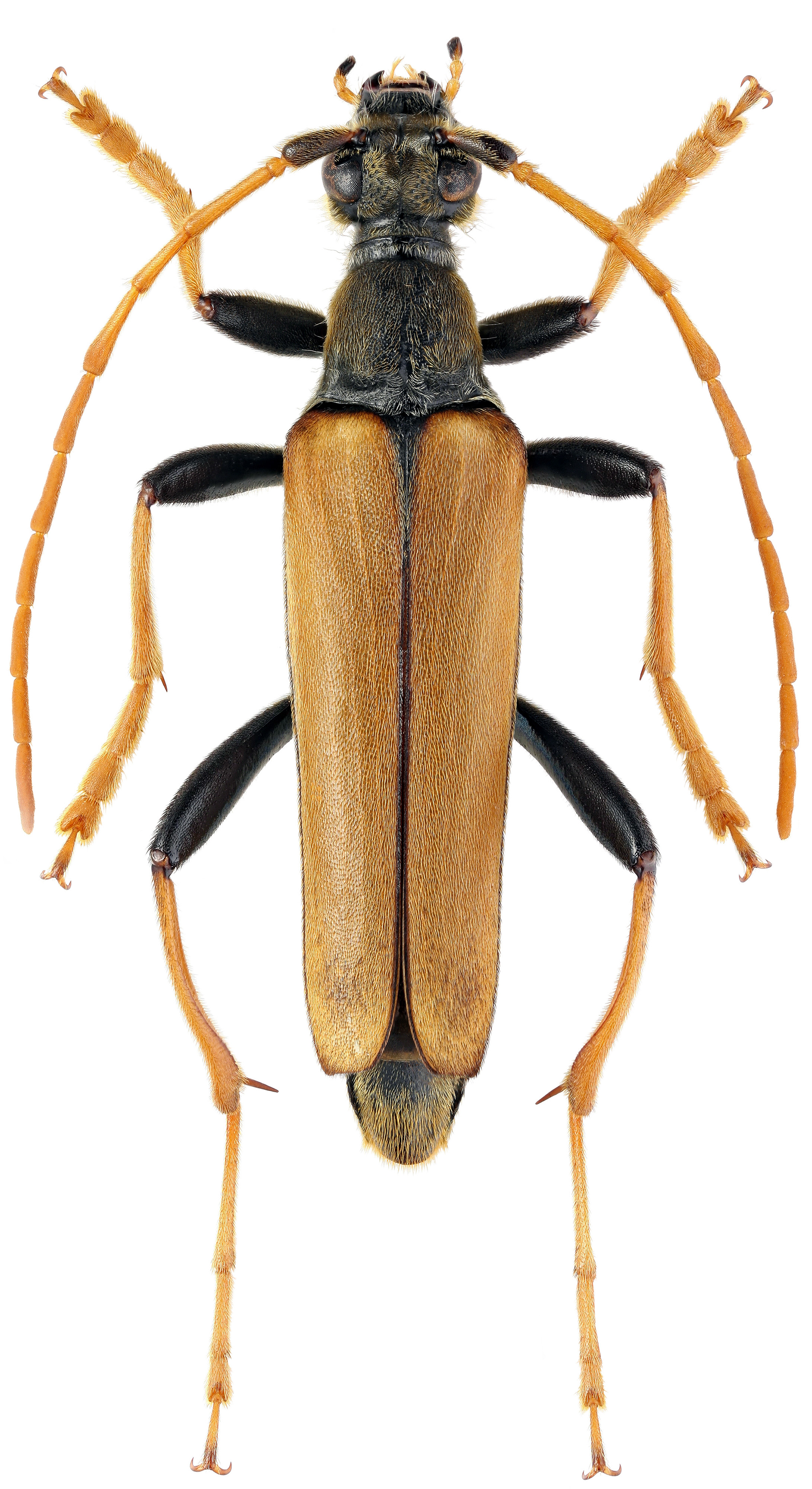
Adults, active from July to September, are diurnal and anthophilous [❖][✧]. 
                                          
| Body length: | ♂♂ 16 - 20 mm / ♀♀ 17 - 23 mm | 
| Life cycle: | 2 years | 
| Adults in: | July - September (Kunashir) | 
| Host plant: | polyphagous in both deciduous and coniferous trees (Alnus, Fagus, Betula, Abies) | 
| Distribution: | Russia (Sakhalin, Kunashir - Kuril Islands), Japan (Hokkaido, Honshu, Shikoku, Kyushu) | 
The depicted male beetle (18 mm) was collected on South slope of Alokhin Cape (Mыс Алёхина, (N43°55′30″ E145°32′44″; 104 m a.s.l.,
Kurils Nature Reserve, Kunashir/Кунаши́р island, Kuril Islands, Yuzhno-Kurilsky district, Sakhalin region, Russia) on August 22, 2009.
Collected by A. Zaitsev 
[▽]
Matsushita M.:
Beitrag zur Kenntnis der Cerambyciden des japanischen Reichs.
Journal of the Faculty of Agronomy of Hokkaido Imperial University, Sapporo 34 (2): i-ix + 157-445, 1933.
[download  ]
]
[❖]
Cherepanov A.I.:
Cerambycidae of Northern Asia, Volume 1 - Prioninae, Disteniinae, Lepturinae, Aseminae.
Amerind Publishing, New Delhi: 304pp [pages 510-515], 1988.
[download  ]
]
[✧]
Danilevsky M.L.:
Longicorn beetles (Coleoptera, Cerambycoidea) of Russia and adjacent countries. Part 1.
Higher School Consulting, Moscow, 550pp [page 321], 2014.
[download  ]
]