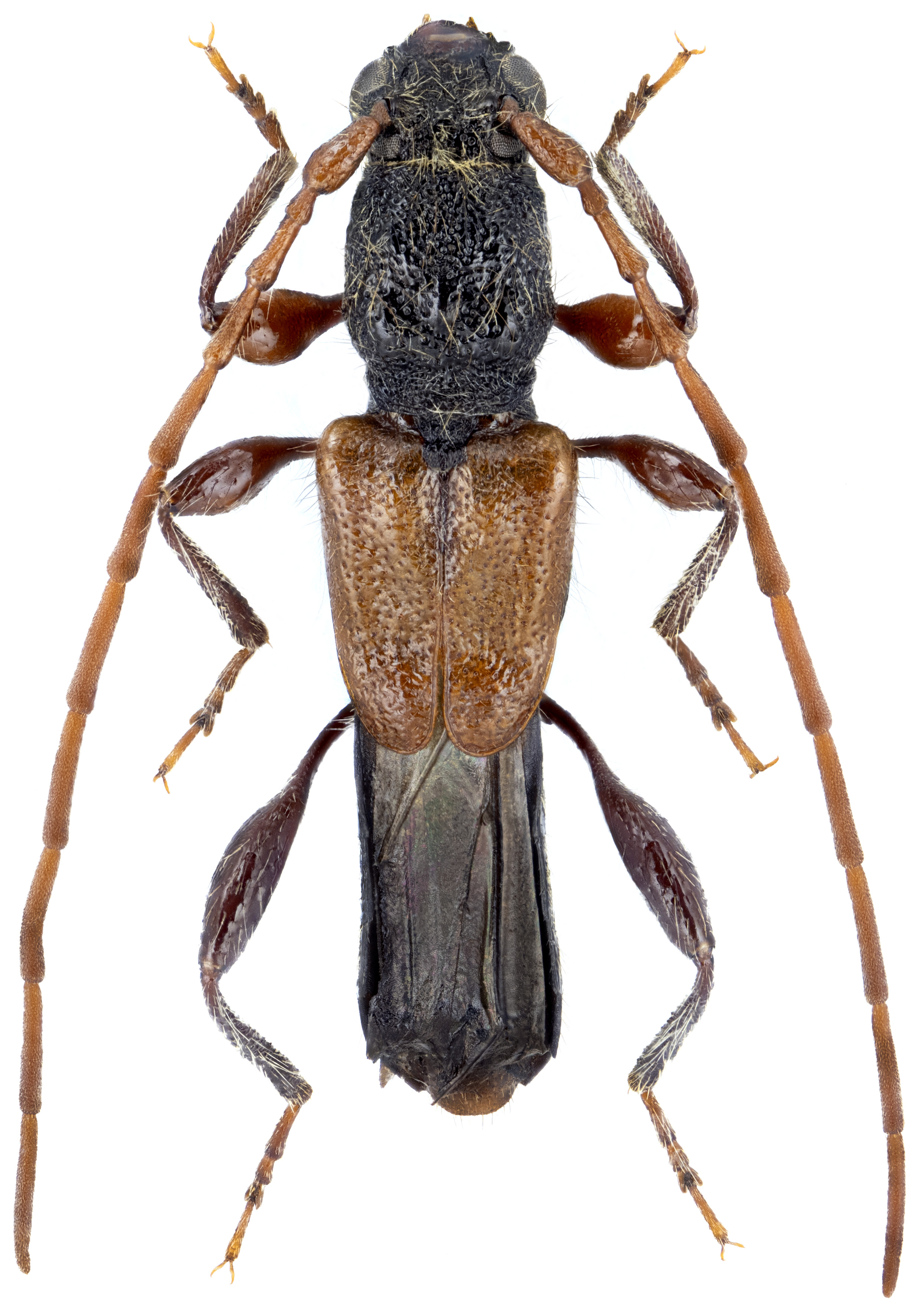
Molorchus grosseri, a rare montane endemic species to South-West Iran, has been described by Jiří Voříšek in 2012 [❖] according one known male collected by Walter Grosser in Sisakht environs (Kohgiluyeh and Boyer-Ahmad Province).
M. grosseri, belonging to M. kiesenwetteri Mulsant et Rey, 1861 species cluster, differs from it by long prothorax and shorter, but longer then body antennae.
From allied taxa differs also by pronotal sculpture. Biology is unknown, but adults seem to be diurnal and anthophilous (the depicted holotype was captured on flowering Tordylium cappadocicum, Apiaceae).
| Body length: | 6.9 mm | 
| Life cycle: | 1 year [?] | 
| Adults in: | May | 
| Host plant: | unknown | 
| Distribution: | an endemic species to South-West Iran | 
Depicted male beetle (holotype) was collected on flowering Tordylium cappadocicum (Apiaceae) in Kuh Gol lake environs
(N30.84° E51.53°; 2300 m a.s.l, 6 km SEE of Sisakht, Central district of Dana County, Dana county, Kohgiluyeh and Boyer-Ahmad Province, Iran)
on May 27-28, 2009.
Collected by our friend Walter Grosser
[❖]
Voříšek J.:
Two new species of longhorn beetles (Coleoptera, Cerambycidae) from Iran.
Animma.x 45: 1-6, 2012.
[download  ]
]
             
Ambrus R. & Grosser W.:
Results of the Czech entomological expedition to Iran (2009-2010) (Coleoptera: Cerambycidae).
Humanity space - International almanac 2 (3): 461-482, 2013.
[download  ]
]