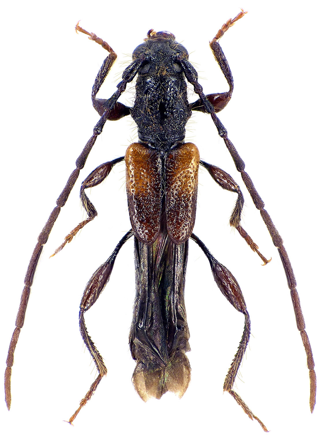
Molorchus (Molorchus) kiesenwetteri Mulsant & Rey, 1861
ssp. hircus Abeille de Perrin, 1881
[= Glaphyra kiesenwetteri hircus (Abeille de Perrin, 1881)]
[= Molorchus kiesenwetteri anatolicus Adlbauer, 1988; ❖]

Subfamilia: CERAMBYCINAE  /  Tribus: MOLORCHINI
Eunidia nebulosa

[Photo © David Navrátil & 8K postprocessing Michal Hoskovec]

Molorchus kiesenwetteri hircus, a subspecies occurring in Asia Minor, Transcaucasia and the Middle East, has been described as M. hircus from Bloudan (Syria) by Elzéar Abeille De Perrin in 1881 [☆]. During the following decades, its taxonomic status changed several times to the current generally accepted state when it is considered a subspecies of widely distributed M. kiesenwetteri. Larvae develop in thin twigs of deciduous shrubs and trees, life cycle is one to two years, adults can be beaten from host trees or flowering shrubs.

Body length:4 - 7 mm
Life cycle:1-2 years
Adults in:April - June
Host plant:polyphagous in deciduous trees (Prunus, Rosa, Rhus, Juglans)
Distribution:Armenia, Azerbaijan, Georgia, Lebanon, Turkey, Iran [✧]


The depicted male beetle was collected in: ♂ Kīnj (كينج) village environs (1171 m a.s.l., Nowshahr county, Māzandarān province, Iran) on May 18, 2019.

Collected by David Navrátil


[☆]
Abeille De Perrin E.:
Note sur les genres Molorchus et Callimus.
Nouvelles et faits divers de l'Abeille, Paris 34 (2) : 133-135, 1881.

[❖]
Adlbauer K.:
Neues zur Taxonomie und Faunistik der Bockkäferfauna der Türkei (Coleoptera, Cerambycidae).
Entomofauna - Zeitschrift für Entomologie, Linz 9 (12): 257-297, 1988. [download pdf icon]

[✧]
Sama G.:
Su alcuni nuovi o interessanti Cerambicidi del medio Oriente (Insecta Coleoptera Cerambycidae).
Quaderni di Studi e Notizie di Storia Naturale della Romagna 13 (supplemento): 91-105, 2000. [download pdf icon]

Sama G.:
Note sui Molorchini. II. I generi Glaphyra Newman, 1840 e Nathrioglaphyra nov. (Coleoptera, Cerambycidae).
Lambillionea 95 (3): 363-390, 1995. [download pdf icon]



 
SubfamiliaCerambycinae Latreille, 1802
TribusMolorchini Mulsant, 1863
GenusMolorchus Fabricius, 1793
SubgenusMolorchus Fabricius, 1793
SpeciesMolorchus (Molorchus) kiesenwetteri Mulsant & Rey, 1861
SubspeciesMolorchus (Molorchus) kiesenwetteri hircus Abeille de Perrin, 1881