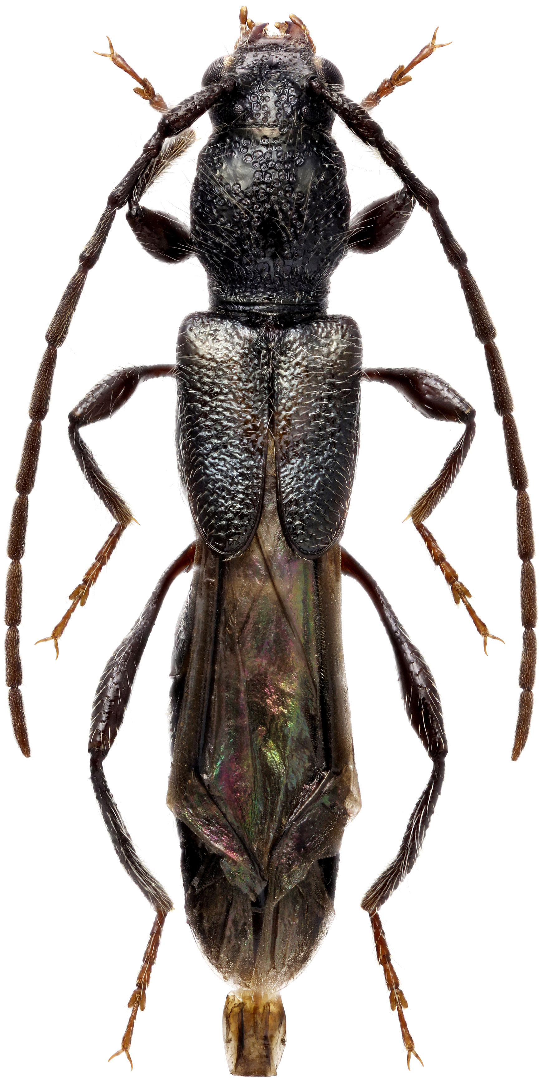
Molorchus starki, a species known from Russian Far East and Korea, has been described from Ussuri region by
V. Shabliovsky in 1936 [❖]. However, the description was probably forgotten and for many years was known by the synonym
Molorchus ussuriensis Plavilstshikov, 1940. Larvae of M. starki develop in dying or freshly dead thin branches
and shoots of Manchurian striped maple (Acer tegmentosum).
Young larvae feed subcortically, the last instar larva enter the sapwood and create here pupal cells. Larvae pupate at end of summer,
the immature beetles appear in August - September, overwinter in pupal cells, and emerge in May-June [✧]. 
| Body length: | 6 - 8 mm | 
| Life cycle: | 1 year | 
| Adults in: | May - June | 
| Host plant: | Manchurian striped maple (Acer tegmentosum) | 
| Distribution: | Russian Far East, Korea | 
Depicted beetle was collected at Listvennichnaya (Лиственничная) river under Kamenystyi (Каменистый) creek estuary
(N43°35′47″ E131°21′53″; 400 m a.s.l, Borisovskoye Plateau, South of Primorsky krai, Far Eastern Federal District, Russia)
on May 30, 2019.
Collected by Kirill V. Makarov
[❖]
Shabliovsky V.V.:
K izucheniyu fauny zhukov-drovosekov Ussuriyskoy oblasti.
Vestnik Daľnevostochnogo Filiala Akademii Nauk 19: 184-186, 1936.
[✧]
Cherepanov A.I.:
Cerambycidae of Northern Asia, Volume 2 - Cerambycinae Part I.
Amerind Publishing, New Delhi: 304pp [pages 71-75 as Molorchus ussuriensis], 1988.
[download  ]
]