Necydalis pennata, a species occuring in North-East Asia (Russian Far East, Japan, NE China, Korea), has been described from Japan by
George Lewis in 1879 [❖]. Its larvae develop in the dead wood of various deciduous trees (Betula, Prunus, Ulmus, Fraxinus, Alnus,
Quercus, Acer, Tilia, etc.). Pupation occurs in wood after the 3rd or even 4th overwintering, thus the life-cycle can take at least 3 years.
Adults are active from June to August [✧]. 
| Body length: | ♂♂ 10 - 17 mm / ♀fe♂ 17 - 26 mm | 
| Life cycle: | at least 3 years | 
| Adults in: | June - August | 
| Host plant: | polyphagous in deciduous trees | 
| Distribution: | Russian Far East, Japan, NE China, Korea | 
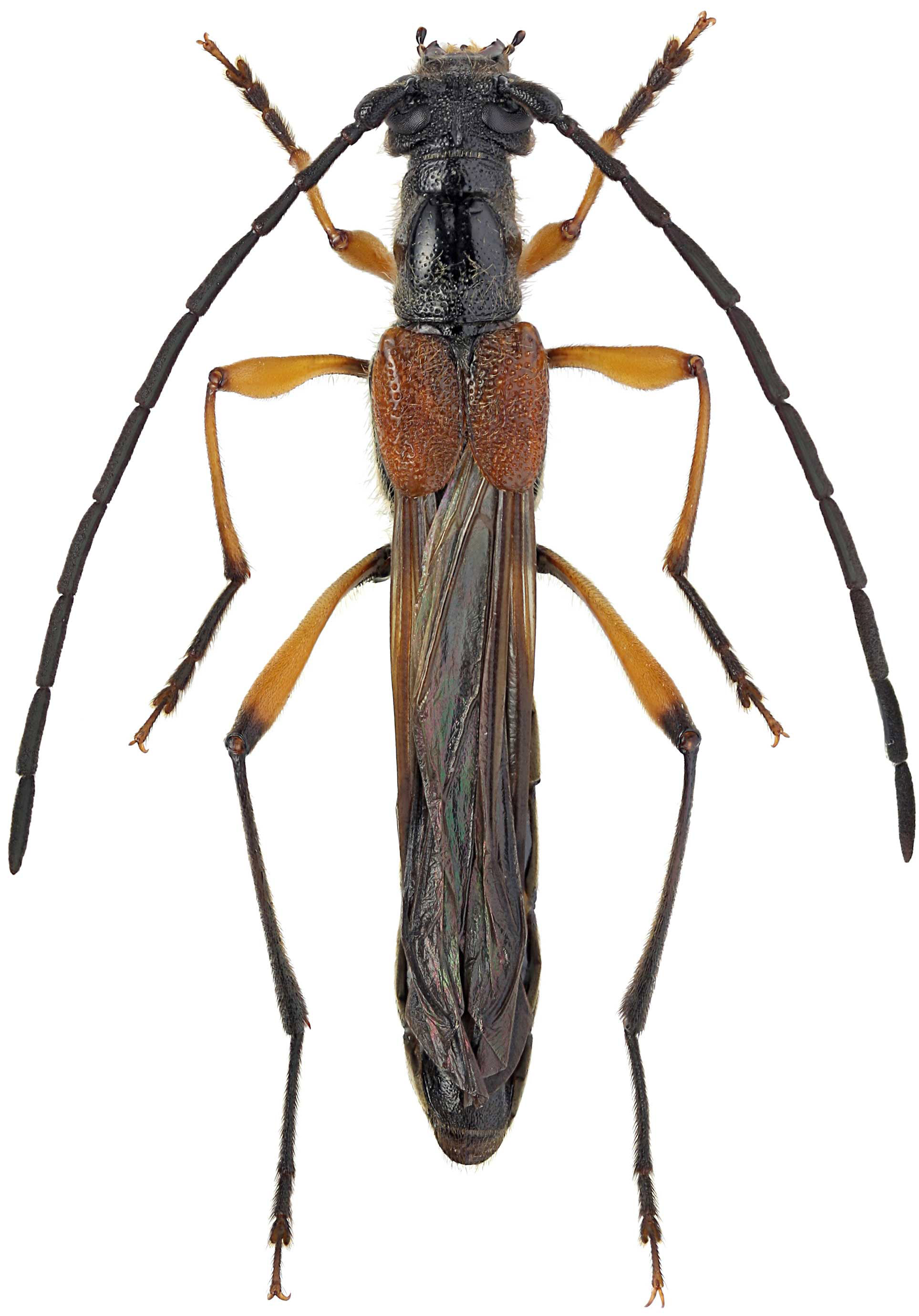
The depicted beetle (♂ 12 mm) was collected above the Ozernaya river valley
(N43°52′44″ E145°28′16″; Kunashir/Кунаши́р island, Kuril Islands,
Yuzhno-Kurilsky district, Sakhalin region, Russia) on August 22-29, 2011. 
Collected by Kirill V. Makarov and A. Zaitsev
[❖]
Lewis G.:
LIII. On certain new Species of Coleoptera from Japan.
The Annals and Magazine of Natural History, London 4 (5) 24: 459-467, 1879.
[download  ]
]
[✧]
Danilevsky M.L.:
Longicorn beetles (Coleoptera, Cerambycoidea) of Russia and adjacent countries. Part 1.
Higher School Consulting, Moscow, 550pp [pages 356-357], 2014.
[download  ]
]