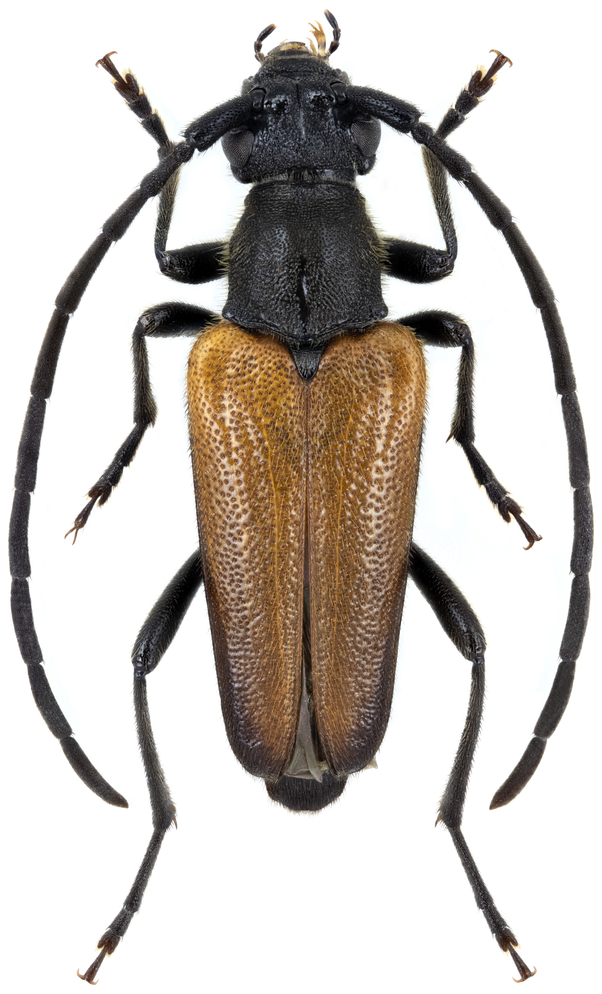
Neopiciella sicula, a very rare endemic Sicilian longhorn beetle, has been described as Leptura sicula from Sicily by Ludwig Ganglbauer in 1886 [▽].
The larvae of Neopiciella feed between alive and dead wood of the stump of branches of the host trees (Fagus sylvatica, Quercus spp., Acer campestre, Acer pseudoplanatus).
The rarity of all species of the genus Neopiciella is due to strictly arboreal habits of these Cerambycids, rarely found on flowers or bushes [▽].
| Body length: | 9 - 11 mm | 
| Life cycle: | 2 - 3 years [?] | 
| Adults in: | May - June | 
| Host plant: | deciduous trees (Acer, Fagus, Quercus) | 
| Distribution: | endemic Sicilian species | 
The depicted mounted beetle was collected on a flower (Apiaceae) in Bosco della Ficcuzza reserve (Palermo province, Sicily, Italy).
Collected by our friend Martin Švarc
[▽]
Ganglbauer L.:
Neue und weniger bekannte Longicornier des paläarktischen Faunengebietes.
Verhandlungen der kaiserlich-königlichen zoologisch-botanischen Gesellschaft in Wien 35 [1885]: 515-524, 1886.
[download  ]
]
[★]
Bellavista M., Rapuzzi P. & Sparacio I.:
A new species of Neopiciella Sama, 1988 (Coleoptera Cerambycidae) from western Sicily.
Biodiversity Journal 11 (4): 1001-1006: 189-230, 2020.
[download  ]
]
Sama G. and Schurmann P.:
Coleotteri Cerambicidi di Sicilia.
Animalia 7 (113): 189-230, 1980.
[download  ]
]
Rapuzzi P. and Sama G.:
Cerambycidae nuovi o interessanti per la fauna di Sicilia (Insecta Coleoptera Cerambycidae).
Quaderni di Studi e Notizie di Storia Naturale della Romagna 23: 157-172, 2006.
[download  ]
]