Obrium brevicorne, an East-Palaearctic species occuring in Russian Far East, Korea, and Japan, has been described from Ussuri region by Nikolai N. Plavilstshikov in 1940 [▽].
O. brevicorne, inhabiting deciduous forests, is ecologically associated with ash (Fraxinus). Its larvae develop in branches and twings of freshly dead, dying or strongly weakened
trees. They feed subcortically, creating longitudinal, often meandering galleries (sharply impressed on sapwood) plugged with fine frass. Pupation in hook-shaped pupal cell located
in the upper layer of wood at end of gallery during spring. Life-cycle 1 year, adults are active from June to August [❖].
| Body length: | 6 - 9 mm | 
| Life cycle: | 1 year | 
| Adults in: | June - August | 
| Host plant: | Fraxinus | 
| Distribution: | Russian Far East, Korea, Japan | 
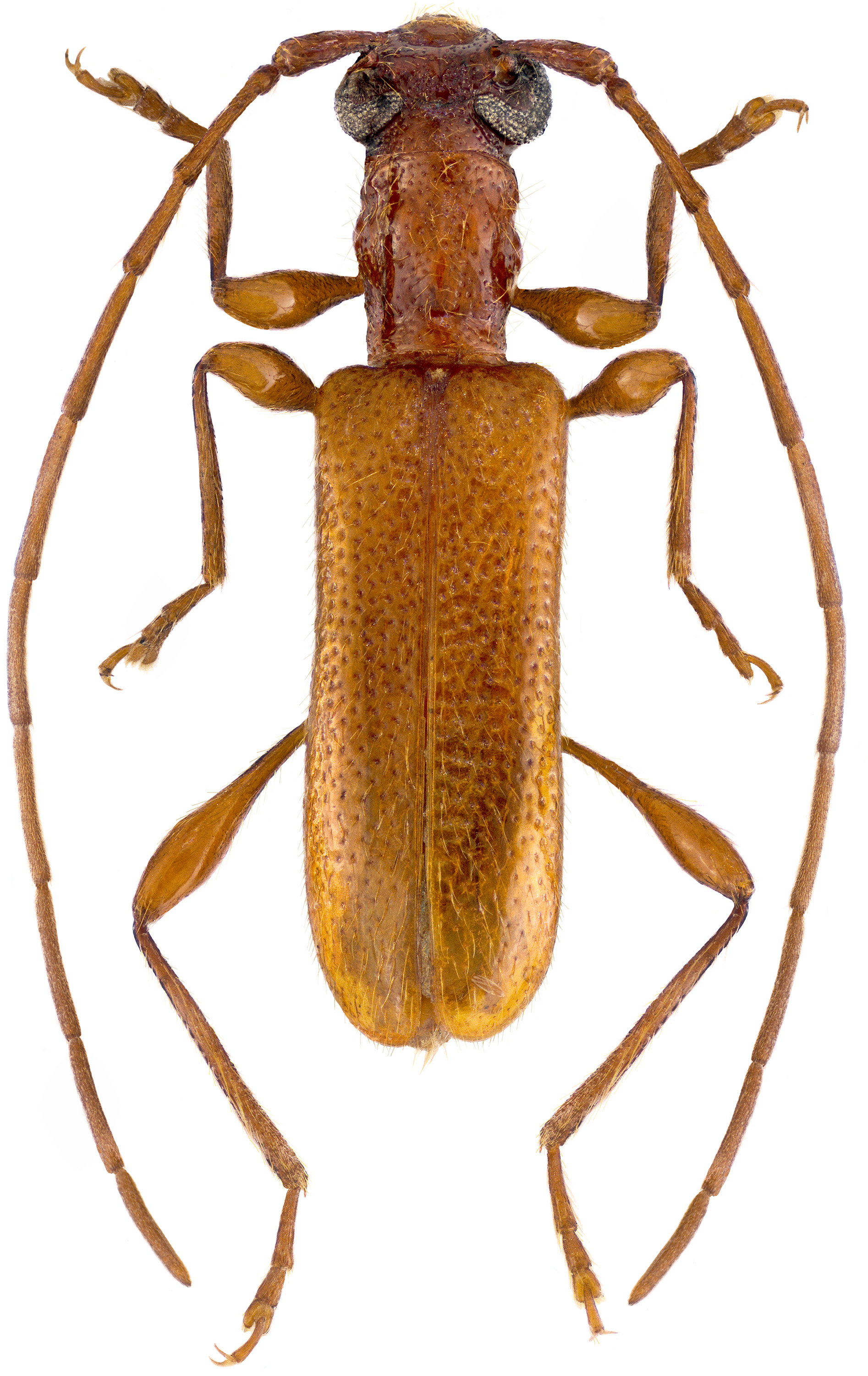
The depicted beetle (6 mm) was captured in Zanadvorovka (Занадворовка) village environs (Khasansky district, Primorsky Krai, Far Eastern federal district, Russia) in June 2002.
Collected by S.Kunitzin
[▽]
Plavilstshikov N.N.:
Фауна СССР: Насекомые жесткокрылые. Том XXII. Жуки-дровосеки. Часть 2.
[ Fauna USSR: Insects, Beetles. Volume XXII. Longhorn beetles. Part 2. ]
Издательство Академии Наук СССР, 785 [pages 138-139], 1940.
[download  ]
]
[❖]
Cherepanov A.I.:
Cerambycidae of Northern Asia, Volume 2 - Cerambycinae Part I.
Amerind Publishing, New Delhi: 304pp [pages 39-43], 1988.
[download  ]
]