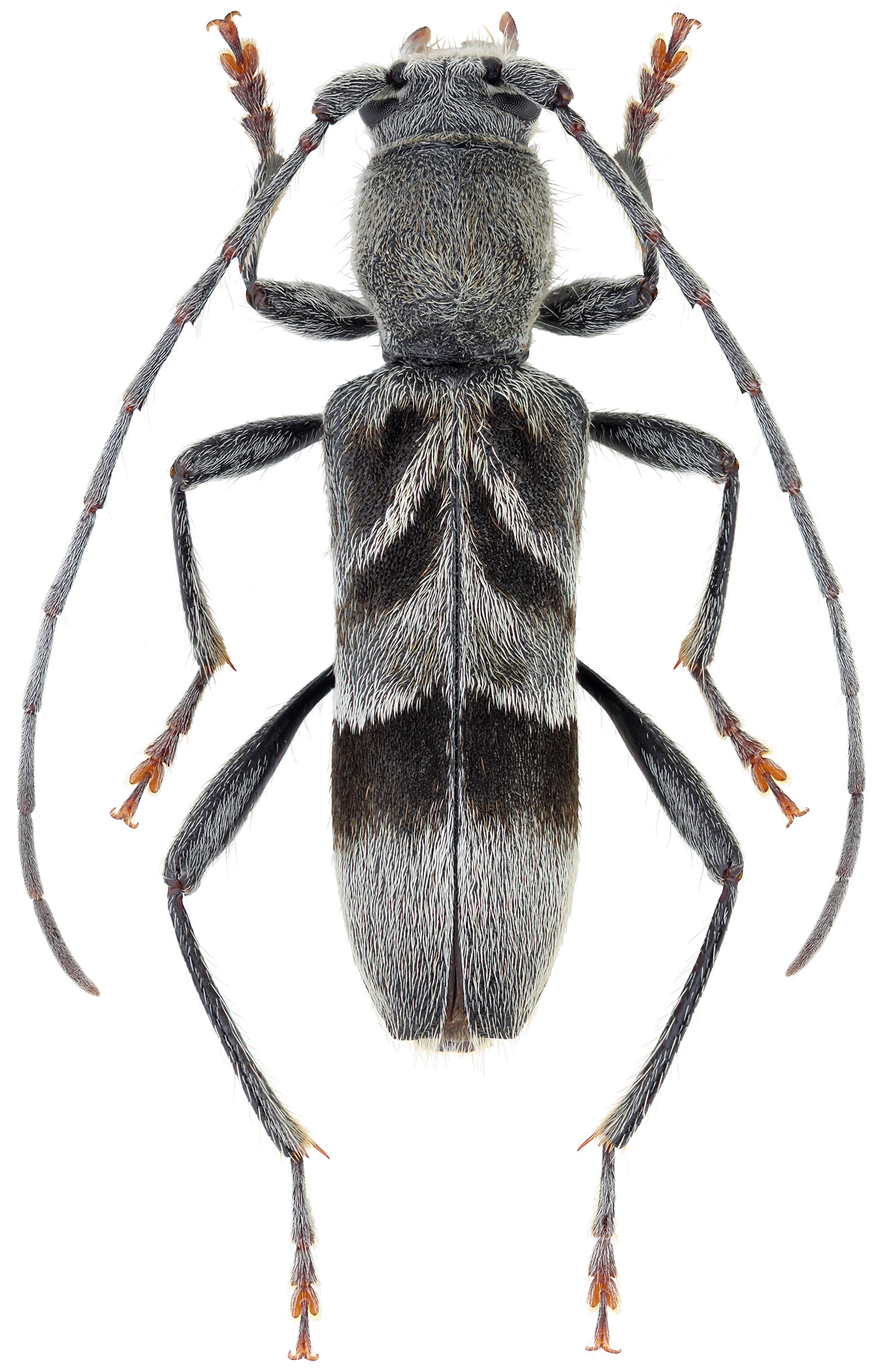
Oligoenoplus rosti (Pic, 1911)
ssp. rosti (Pic, 1911)
Subfamilia: CERAMBYCINAE / Tribus: ANAGLYPTINI
				
			ssp. rosti (Pic, 1911)
Subfamilia: CERAMBYCINAE / Tribus: ANAGLYPTINI
|   [Photo © Kirill V. Makarov] | 
 | 
                                              
| Subfamilia | Cerambycinae Latreille, 1802 | 
| Tribus | Anaglyptini Lacordaire, 1869 | 
| Genus | Oligoenoplus Chevrolat, 1863 | 
| Species | Oligoenoplus rosti (Pic, 1911) | 
| Subspecies | Oligoenoplus rosti rosti (Pic, 1911) | 
 
			