Paraclytus raddei has been described as Anaglyptus raddei from "Caucasus" by Ludwig Ganglbauer in 1881 [▽].
This very rare beetle (living one in photos) was reared from a larva found in pupal cell built in a substrate present inside a living hollow beech tree. The substrate was a 1-5 cm thick layer of a dead and extremely
tenacious red-brown wood in close contact to the sound and very compact heart wood. Such substrate is created in hollow living deciduous trees. The substrate preferences of this
species are very similar to Stictoleptura erythroptera (Hagenbach, 1822).
Larvae of Paraclytus raddei also were collected in recently dead trees but the above described substrate was always present. Together with Paraclytus raddei, larvae of
Paraclytus reitteri (Ganglbauer, 1881) and Anaglyptus ganglbaueri Reitter, 1886 were collected.
After the death of the host larvae of these species frequently penetrate into the neighbouring tissues.
More rarely larvae and dead adults of Paraclytus raddei were collected in dead but very compact and moisture-poor wood of trunks and stumps of Fagus orientalis.
The larval substrate always showed characteristic fungal infestation. However, we believe that this sort of substrate is much more frequently infested by Paraclytus reitteri.
Anaglyptus spp. have never been observed in this sort of substrate.
All the above mentioned Paraclytus and Anaglyptus species pupate in late autumn and adults overwinter in the pupal cells. The adults emerge very early in the following spring.
In contrast to Paraclytus reitteri, this species, Paraclytus raddei, does not visit flowers and consequently it is being recorded much less frequently.
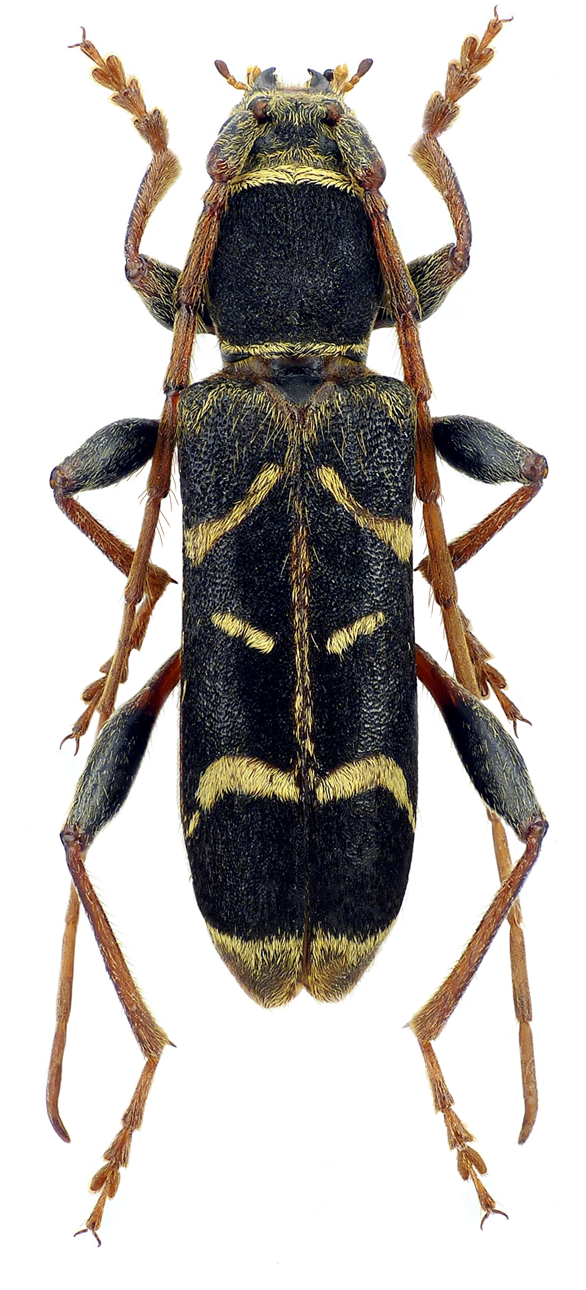
| Body length: | 15.4 – 20.9 mm | 
| Life cycle: | 2 - 3 years | 
| Adults in: | May - June | 
| Host plant: | polyphagous in deciduous trees (Carpinus, Fagus, Quercus) | 
| Distribution: | Azerbaijan, North Iran | 
The depicted beetles (mounted male and live female) were collected in Rostamābād (رستم آباد) environs (1150 m a.s.l., Gilan province, North Iran) on May 23-25, 2018.
Collected by P.Jelínek and K.Hodek
[▽]
Ganglbauer L.:
Bestimmungs-Tabellen der europäischen Coleopteren. VII. Cerambycidae.
Verhandlungen der kaiserlich-königlichen zoologisch-botanischen Gesellschaft in Wien 31 [1881]: 681-758, 1882.
[download  ]
]
Miroshnikov A.I.:
A review of the genus Paraclytus Bates, 1884, with the description of a new species from China (Coleoptera: Cerambycidae).
Konstantinov A. S., Slipinski S. A. & Solodovnikov A. Yu. (Editors): Advances in studies on Asian cerambycids, KMK Scientific Press Ltd., ISBN 978-5-87317-820-9, 73-132, 2014.
[download  ]
]