Phymatodes infasciatus, an East Palaearctic species occuring in Russian Far East, China, Japan, and Korea, has been described from Shanghai environs as Pœcilium infasciatum by Maurice Pic in 1935 [▽].
According to Tatsuya Niisato, later described taxa Phymatodes vandykei Gressitt, 1935 and Phymatodes (Phymatodellus) ussuricus Plavilstshikov, 1940 are junior synonyms of this species [✧].
Larvae of P. infasciatus develop in thin branches of grapevine, creating galleries along twig initially in upper layer directly under bark, later along pith, plugged with fine frass.
They then overwinter in wood and pupate in pupal cells created in the wood during the next late spring. Life-cycle 1 year. Adults, active from June to August, can be found and beaten from the host plant [✩].
| Body length: | 4 - 5 mm | 
| Life cycle: | 1 year | 
| Adults in: | June - August | 
| Host plant: | Amur grapevine (Vitis amurensis)) | 
| Distribution: | Russian Far East, China, Japan, Korea | 
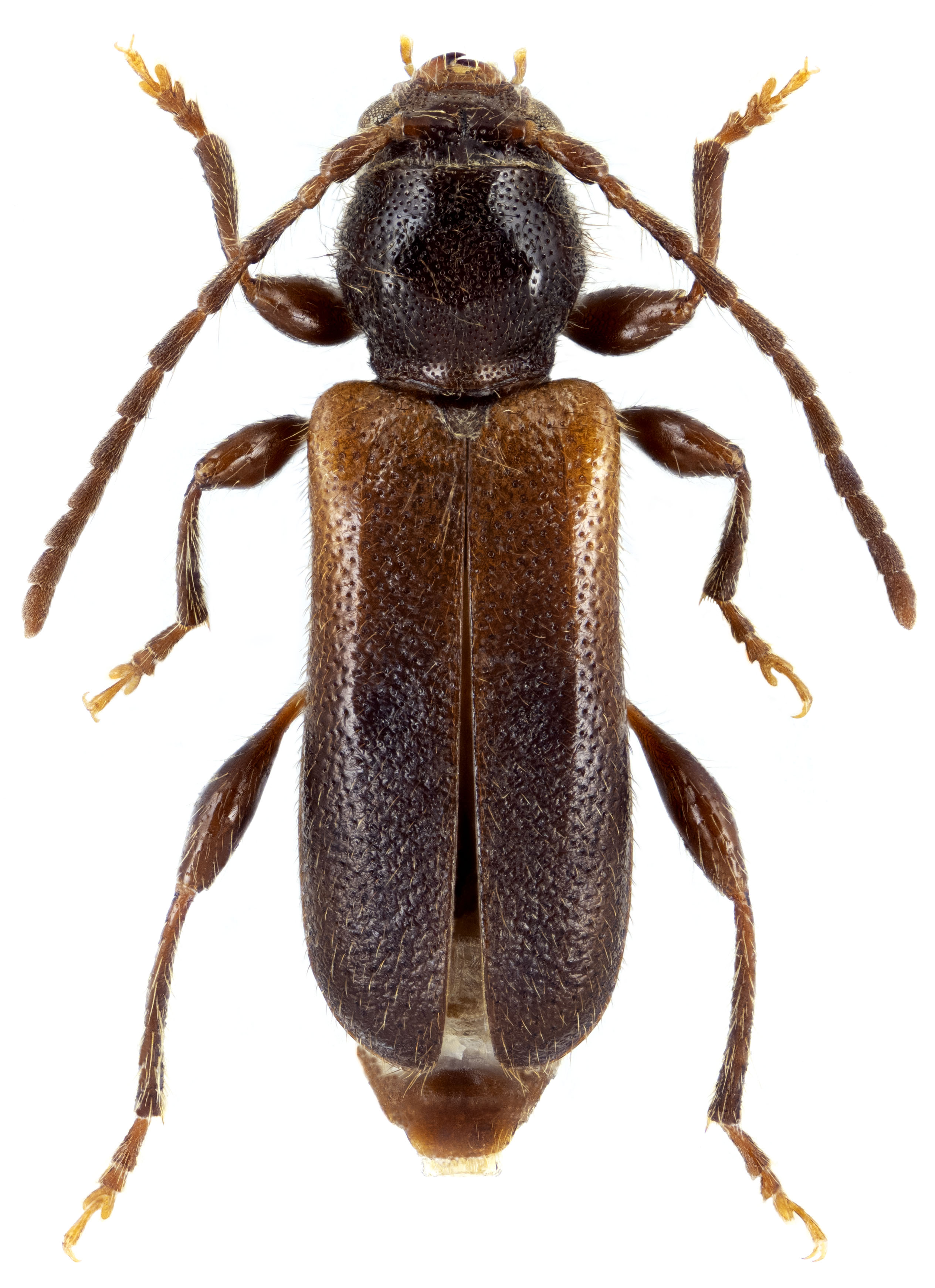
The depicted mounted beetle was collected near Ryazanovka (Рязановка) village (Khasansky district, Primorsky krai, Far Eastern federal district, Russia) on July 20, 1992.
Collected by Emil Kučera
                     
[▽]
Pic M.:
Nouveautés diverses.
Mélanges Exotico-Entomologiques 66: 1-36, 1935.
[✧]
Niisato T.:
New Synonyms of Phymatodes infasciatus (Coleoptera, Cerambycinae).
Elytra, Tokyo 23 (2): 155-158, 1995.
[download  ]
]
[✩]
Cherepanov A.I.:
Cerambycidae of Northern Asia, Volume 2 - Cerambycinae Part I.
Amerind Publishing, New Delhi: 304pp [pages 245-254 as Phymatodes ussuricus and P. vandykei], 1988.
[download  ]
]