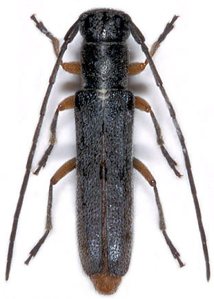
Phytoecia (Phytoecia) bangi Pic, 1897
[= Phytoecia rufipes bangi Pic, 1897]
Subfamilia: LAMIINAE / Tribus: SAPERDINI
[= Phytoecia rufipes bangi Pic, 1897]
Subfamilia: LAMIINAE / Tribus: SAPERDINI
[Photo © M.Hoskovec] |
|
Subfamilia: Lamiinae Latreille, 1825
Tribus: Saperdini Mulsant, 1839
Genus: Phytoecia Dejean, 1835
Subgenus: Phytoecia Dejean, 1835
Species: Phytoecia (Phytoecia) bangi Pic, 1897
