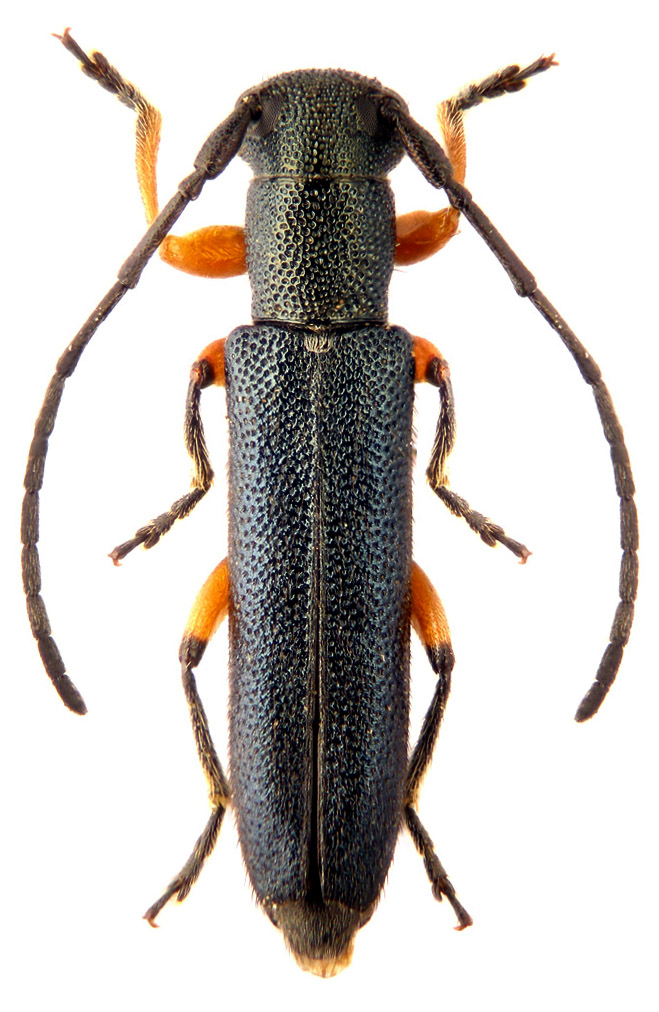
Phytoecia (Phytoecia) croceipes Reiche & Saulcy, 1858

Subfamilia: LAMIINAE  /  Tribus: SAPERDINI
Phytoecia croceipes
[Photo © Denis G. Kasatkin]




Body length:7 – 11 mm
Life cycle:1 year
Adults in:May-June
Host plant:unknown
Distribution:Azerbaijan, Armenia, Georgia, Cyprus, Iraq, Iran, Israel, Lebanon, Syria, Turkey


The depicted beetle was collected in Buğlan Geçidi (Muş province, East Turkey) on May 17, 2009.

Collected by our friend Denis G. Kasatkin


Subfamilia: Lamiinae Latreille, 1825
Tribus: Saperdini Mulsant, 1839
Genus: Phytoecia Dejean, 1835
Subgenus: Phytoecia Mulsant, 1863
Species: Phytoecia (Phytoecia) croceipes Reiche & Saulcy, 1858