Phytoecia (Barbarina) nausicae Rejzek & Kakiopoulos, 2004
[= Coptosia (Barbarina) nausicae (Rejzek & Kakiopoulos, 2004)]

Subfamilia: LAMIINAE  /  Tribus: SAPERDINI
Phytoecia nausicae

[Photo © Sergei O. Kakunin]


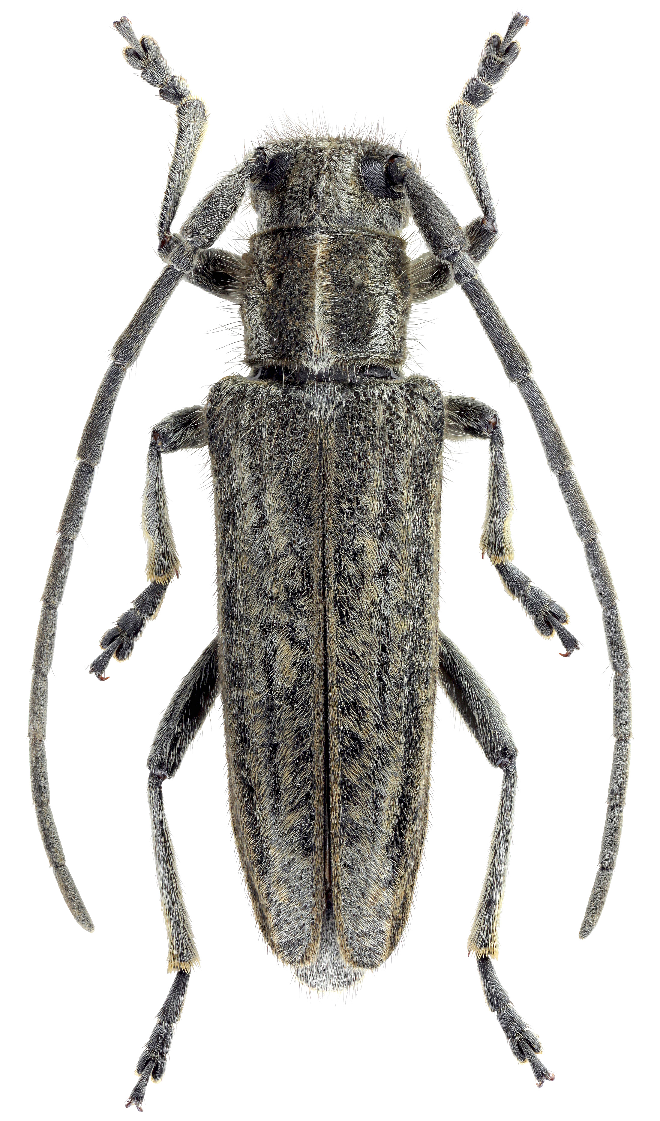
Phytoecia (Barbarina) nausicae, a rare species endemic to Greece, has been described by Martin Rejzek and George Kakiopoulos from the Hassia Mts. situated in north-western Greece in 2004 [❖]. The species is very similar to Phytoecia (Barbarina) nepheloides Sama, 1997 (distributed in Syria and S Turkey) and Phytoecia (Barbarina) behen Sama & Rejzek, 1999 (NW Turkey). All three species seem to be associated with plants of the genus Centaurea (Asteraceae).

Body length:10.8 - 13.3 mm
Life cycle:1 year
Adults in:April - May
Host plant:Centaurea thracica
Distribution:a species endemic to Greece


Depicted mounted male beetle (10.7 mm) was collected in Despotis (Δεσπότης) village environs (Grevena municipality, Grevena regional unit, West Macedonia, Greece) on April 26, 2012. The living specimens were collected in Agioi Theodoroi (Άγιοι Θεόδωροι) village environs (Grevena municipality, Grevena regional unit, West Macedonia, Greece) on May 18, 2022.

Collected by N.Kiss and Daniel Rydzi


[❖]
Rejzek M. and Kakiopoulos G.:
Phytoecia (s. l.) nausicae (Coleoptera: Cerambycidae: Lamiinae: Phytoeciini), a new species from continental Greece.
Lambillionea CIV (3): 405-409, 2004. [download pdf icon]

Phytoecia nausicae
Phytoecia nausicae ♂  [Photo © Daniel Rydzi]
Phytoecia nausicae
Phytoecia nausicae
Phytoecia nausicae
Phytoecia nausicae ♀  [Photo © Daniel Rydzi]


 
SubfamiliaLamiinae Latreille, 1825
TribusSaperdini Mulsant, 1839
GenusPhytoecia Pic, 1892
SubgenusBarbarina Sama, 2010
SpeciesPhytoecia (Barbarina) nausicae Rejzek & Kakiopoulos, 200