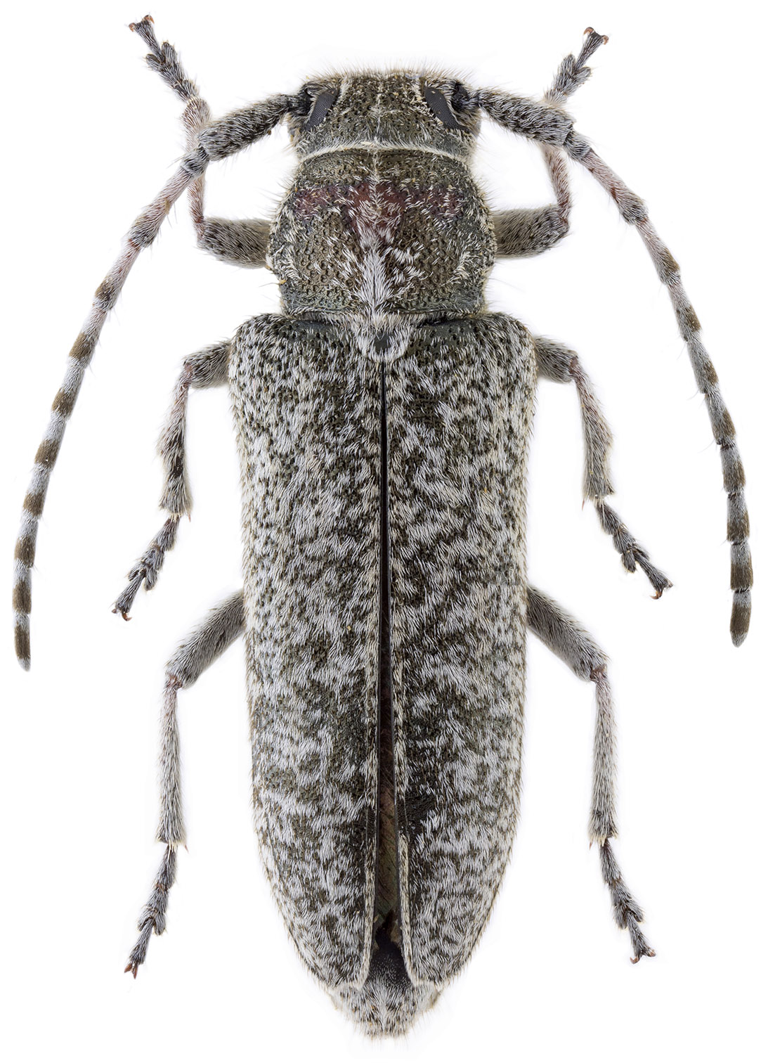
Pilemia (Pilemia) tigrina (Mulsant, 1851)
[=Phytoecia (Pilemia) tigrina Mulsant, 1851]

Subfamilia: LAMIINAE  /  Tribus: SAPERDINI
Pilemia tigrina
[Photo © Petr Jelínek & Michal Hoskovec]

Pilemia (Pilemia) tigrina, a rare species occuring in Central and South-East Europe, has been described from South France by Étienne Mulsant in 1851 [❖]. Biology and ecology of this rare and beautiful species, which larvae develop in stalks and roots of Anchusa barrelieri, is well described in a recent paper by Andrei Crișan et al. [✧].

Body length:8 - 12 mm
Life cycle:1 year
Adults in:May - July
Host plant:Anchusa barrelieri
Distribution:Serbia, Bulgaria, Romania, Hungary, Moldova, Ukraine, Armenia, Turkey


Depicted mounted beetle was captured on the host plant in Dombegyház environs (Békés county, SE Hungary) on May 14, 2006. The living specimens were photographed on the host plant in Hungary by Tamás Németh on April 21, 2016 and by Nikola Rahmé on May 1, 2023.


[❖]
Mulsant É.:
Description de quelques coléoptères nouveaux ou peu connus de la tribu des Longicornes, suivie d'observations sur diverses espèces de cette tribu.
Mémoires de l'Académie des Sciences, belles-lettres et arts de Lyon (2) 1: 122-137, 1851. [download pdf icon]

[✧]
Crișan A., Manci C.-O., Ruicănescu A. & Rákosy L.:
Information about the biology, ecology and distribution of Pilemia tigrina (Mulsant, 1851), in Romania (Coleoptera: Cerambycidae).
Entomologica Romanica 21: 9-14, 2017. [download pdf icon]

Özdikmen H. and Turgut S.:
An overview on the palaearctic subgenus Phytoecia (Pilemia) Fairmaire, 1864, with a new species Phytoecia (Pilemia) samii sp. n. from Turkey (Coleoptera: Cerambycidae: Lamiinae).
Munis Entomology & Zoology 5 (1): 90-108, 2010. [download pdf icon]

Zamoroka A.M., Ruicănescu A., Manci C.-O.:
East and West of the Carpathian Arc: Evidence of postglacial ecological and morphological divergence of Phytoecia tigrina metapopulations (Coleoptera, Cerambycidae).
Biosystems Diversity 32 (1): 12-29, 2024. [download pdf icon]


Pilemia tigrina
[Photo © Tamás Németh]
Pilemia tigrina
Pilemia tigrina
[Photo © Tamás Németh]
Pilemia tigrina
[Photo © Nikola Rahmé]
Pilemia tigrina
[Photo © Nikola Rahmé]


 
SubfamiliaLamiinae Latreille, 1825
TribusSaperdini Mulsant, 1839
GenusPilemia Fairmaire, 1863
Subgenus:Pilemia Fairmaire, 1863
SpeciesPilemia (Pilemia) tigrina (Mulsant, 1851)