Phytoecia (Parobereina) vittipennis Reiche, 1877
ssp. leuthneri Ganglbauer, 1886
[= Phytoecia (Obereina) vittipennis var. leuthneri Ganglbauer, 1886]

Subfamilia: LAMIINAE  /  Tribus: SAPERDINI
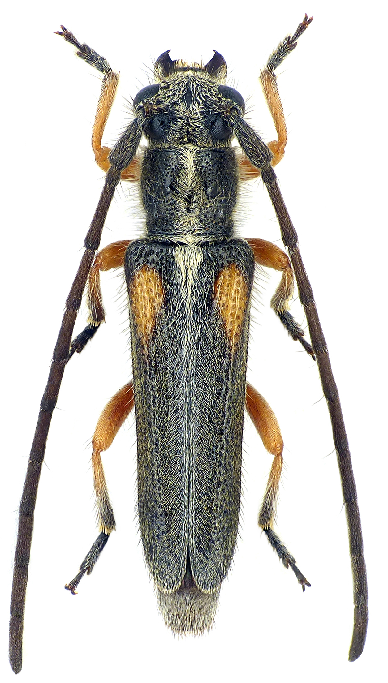
Phytoecia vittipennis leuthneri
[Photo © David Navrátil & 8K postprocessing M.Hoskovec]

Phytoecia (Parobereina) vittipennis leuthneri was described as Phytoecia (Obereina) vittipennis var. leuthneri by Ludwig Ganglbauer from Akbès (Alep governorate, Syria) in 1886 [❖]. Phytoecia vittipennis was moved into a newly estabilished subgenus Parobereina by Mikhail Danilevsky in 2018 [✩].

Body length:7 - 10 mm
Life cycle:1 year
Adults in:May - June
Host plant:Achillea arabica [?]
Distribution:Syria, Turkey [✧]


The depicted beetle was collected in pine forest in Kessab (كسب) environs (Latakia governorate, NW Syria) on June 3, 2010.

Collected by A. Kotán, E. Mizsei, T. Németh and N. Rahmé


[❖]
Ganglbauer L.:
Neue und weniger bekannte Longicornier des paläarktischen Faunengebietes.
Verhandlungen der kaiserlich-königlichen zoologisch-botanischen Gesellschaft in Wien 35 (18) [1885]: 515-524, 1886. [download pdf icon]

[✩]
Danilevsky M.L.:
A new Palaearctic subgenus of genus Phytoecia Dejean, 1835 (Coleoptera, Cerambycidae).
Zootaxa 4521 (1): 129-132, 2018. [download pdf icon]

[✧]
Danilevsky M.L.:
A new species of Phytoecia (Neomusaria) Plavilstshikov, 1928 from Armenia and a new species of Phytoecia (Parobereina) Danilevsky, 2018 from Iran (Coleoptera, Cerambycidae).
Zootaxa 4747 (1): 196-200, 2020. [download pdf icon]



 
SubfamiliaLamiinae Latreille, 1825
TribusSaperdini Mulsant, 1839
GenusPhytoecia Dejean, 1835
GenusParobereina Danilevsky, 2017
SpeciesPhytoecia (Parobereina) vittipennis Reiche, 1877
SubspeciesPhytoecia (Parobereina) vittipennis leuthneri Ganglbauer, 1886