Pogonocherus (Pityphilus) decoratus Fairmaire, 1855

Subfamilia: LAMIINAE  /  Tribus: POGONOCHERINI
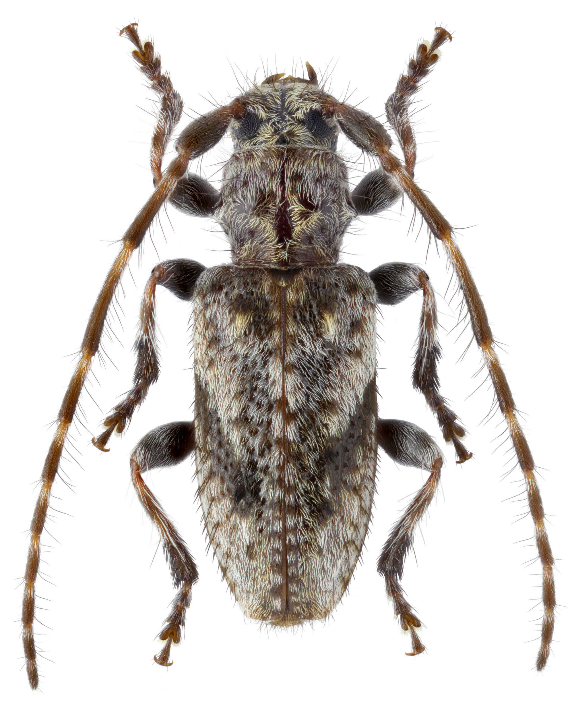
Pogonocherus decoratus
[Photo © Maxim E. Smirnov]

Pogonocherus decoratus, a relatively common species widespread throughout Europe, is ecologically bound to pines (Pinus). Development in thin twigs with a diameter usually around 1 cm. The larvae feed subcortically, then enter the sapwood and pupate in a hook-shaped pupal cells. Adults hatch in late summer and soon after hatching leave the pupal cells and overwinter hidden in a forest litter or under bark scales. Adults are active from early spring, mostly until mid-June. From September, a new generation of beetles can be beaten from thin living, dying or dead pine branches [✩].

Pogonocherus decoratus has been described from Hautes-Pyrénées (France) by Léon Marc Herminie Fairmaire in 1855 [✧].

Body length:4 - 6 mm
Life cycle:2 years
Adults in:March - October
Host plant:strongly prefers Pinus, but also develops in Picea or Abies
Distribution:Austria, Belarus, Belgium, Bosnia and Herzegovina, Bulgaria, Croatia, Czechia, Denmark, Estonia, Finland, France, Germany, Greece, Hungary, Italy, Latvia, Lithuania, Montenegro, Norway, Poland, Russia, Serbia, Slovakia, Slovenia, Spain, Sweden, Switzerland, Ukraine,Turkey


The depicted mounted male beetle was collected in Semenovskoe (Семёновское) village environs at Volga-Uvod channel (Ivanovo district, Ivanovo Oblast, Central Federal District, Russia) on May 6, 2019. The depicted living beetles were reared from larvae found in Pinus sylvestris in: (FK/DR) - Krčský les (Prague-Krč, Central Bohemia, Czechia) in March 2021; (PJ) - Třeboň env. (České Budějovice region, South Bohemia, Czechia) in winter 2018.

Collected by Maxim E. Smirnov, František Kovařík and Petr Jelínek


[✩]
Sláma M.E.F.:
Tesaříkovití – Cerambycidae České republiky a Slovenské republiky / Cerambycidae of the Czech Republic and Slovak Republic.
Milan Sláma private printing, Krhanice, 383pp [pages 291-292], 1998 [ISBN: 80-238-2627-1]. [download pdf icon]

[✧]
Fairmaire L.M.H.:
Rectifications et descriptions d'espèces nouvelles de Coléoptères de la faune méditerranéenne.
Annales de la Société Entomologique de France 3 (3): 307-322, 1855. [download pdf icon]


Pogonocherus decoratus
Pogonocherus decoratus
[Photo © Daniel Rydzi]
Pogonocherus decoratus
[Photo © Petr Jelínek]


 
SubfamiliaLamiinae Latreille, 1825
TribusPogonocherini Mulsant, 1839
GenusPogonocherus Dejean, 1821
SubgenusPityphilus Mulsant, 1862
SpeciesPogonocherus (Pityphilus) decoratus Fairmaire, 1855