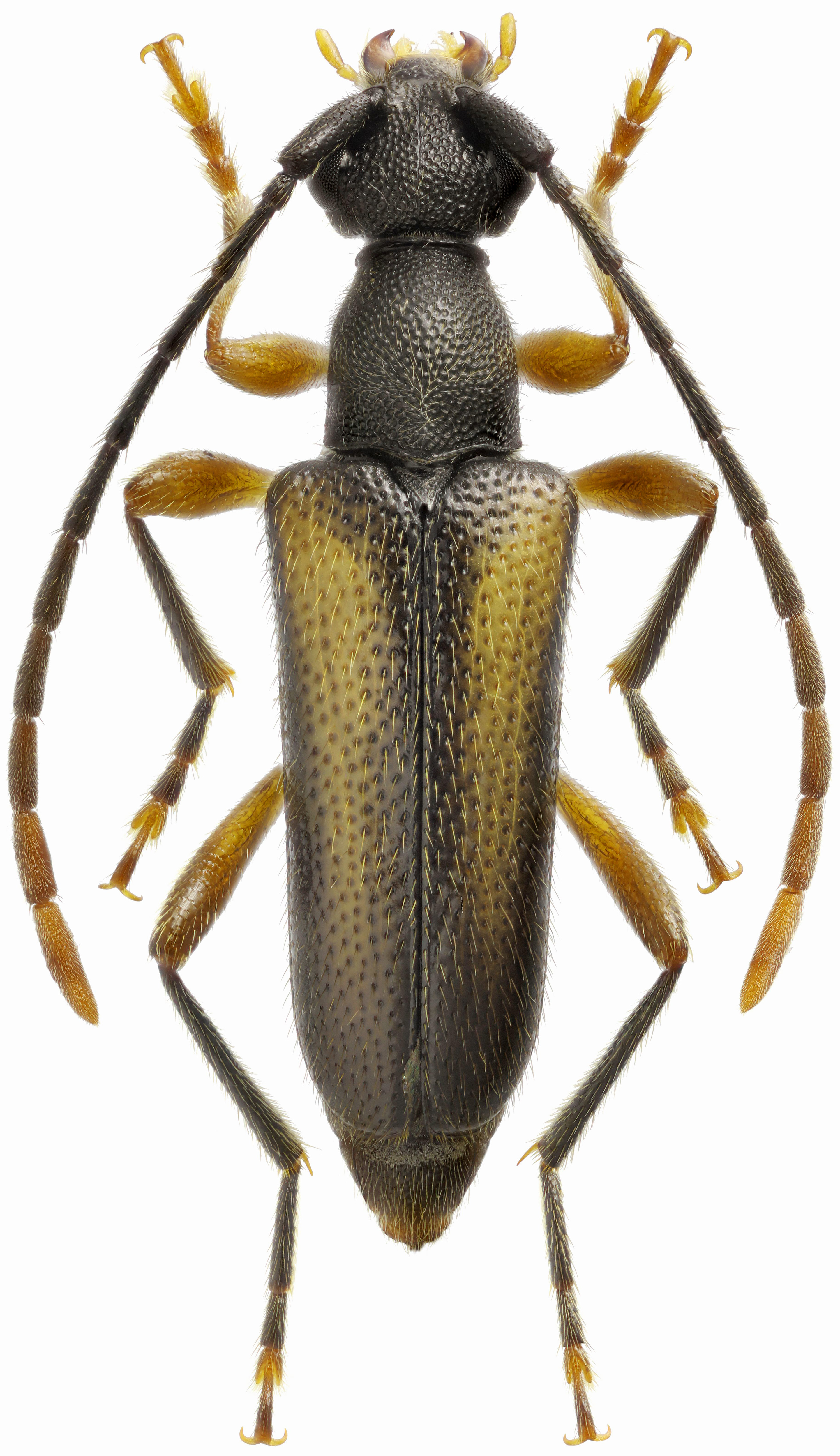
Pseudalosterna elegantula, a species occuring in North-East Asia (Russian Far East, Korea, North China, Japan), has been described from East Siberia (Amur valley) as Grammoptera elegantula 
by Gustav Kraatz in 1879 [▽]. Larvae of the species develop and pupate in the thick bark of both deciduous and coniferous trees (development in Salix and Abies has been proven).
Adults, active from June to August, are diurnal and anthophilous [✧]. 
                                          
| Body length: | ♂♂ 4.5 - 7.0 mm / ♀♀ 4.5 - 8.0 mm | 
| Life cycle: | 1 - 2 years | 
| Adults in: | June - August | 
| Host plant: | polyphagous in thick bark of both deciduous and coniferous trees | 
| Distribution: | Russian Far East, Korea, North China, Japan (Tsushima Island) | 
The depicted male beetle was collected using window traps in forest at Kedrovaya (р. Кедровая) river 
(N43°05′57″ E131°33′10″; Kedrovaya Pad/Кедро́вая Падь Nature Reserve, 11 km SSE of Barabash, Khasansky district, South of Primorsky krai,
Far Eastern Federal District, Russia) on June 1-5, 2019.
Collected by Kirill V. Makarov
[▽]
Kraatz G.:
Ueber die Bockkäfer Ost-Sibiriens, namentlich die von Christoph am Amur gesammelten.
Deutsche entomologische Zeitschrift, Berlin 23 (1): 77-117, 1879.
[download  ]
]
[✧]
Danilevsky M.L.:
Longicorn beetles (Coleoptera, Cerambycoidea) of Russia and adjacent countries. Part 1.
Higher School Consulting, Moscow, 550pp [page 249], 2014.
[download  ]
]