Pseudosphegesthes bubeniki Rapuzzi & Jeniš, 2015

Subfamilia: CERAMBYCINAE  /  Tribus: CLYTINI
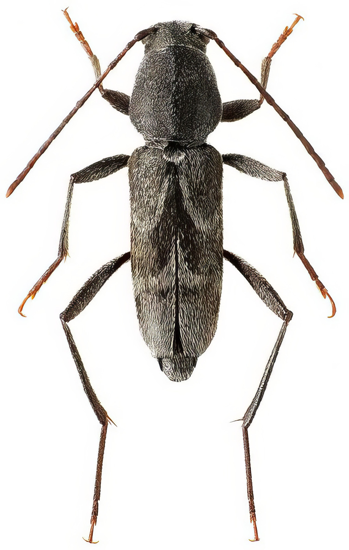
Pseudosphegesthes bubeniki
[Photo © Ivo Jeniš]

Pseudosphegesthes bubeniki was discovered by Czech entomologists in Peloponnese (Greece) in 2012-2014 and subsequently described by Pierpaolo Rapuzzi and Ivo Jeniš [❖]. P. bubeniki is close related to endemic Cretan Pseudosphegesthes bergeri Sláma, 1982 according to the elytral pattern, but the new species is easy to distinguish from the Cretan one by the pronotum shape. Pseudosphegesthes bubeniki is very interesting because it extends the range of the genus Pseudosphegesthes to the continental Greece. As for its features it stands in the middle way between Pseudosphegesthes cinerea and Pseudosphegesthes bergeri [❖].

Holotypus and series of paratypes were reared from larvae feeding in dead oak (Quercus pubescens) branches found in Dasochori (Δασοχώρι; Messenia, Peloponnese, Greece). The next series of beetles was reared from larvae collected in Vastas (SW of Megalopoli, Arcadia, Peloponnese, Greece).

Body length:♂♂ 7.1-11.5 mm / ♀♀ 9.0-13.0 mm
Life cycle:2 years [?]
Adults in:June - July
Host plant:Quercus pubescens
Distribution:a species endemic to Peloponnese peninsula, South Greece


Collected and photographed by our friend Ivo Jeniš


[❖]
Rapuzzi P. and Jeniš I.:
Two new species of Pseudosphegesthes Reitter, 1913 from Greece and Turkey (Coleoptera Cerambycidae).
Biodiversity Journal 6 (3): 749–752, 2015. [download pdf icon]


Note: In the above mentioned paper is unfortunately used improper picture of the described species, instead Pseudosphegesthes bubeniki is errorneously depicted Pseudosphegesthes bergeri.


Pseudosphegesthes
[Photo © Ivo Jeniš]

Comparison of three sympatric Pseudosphegesthes species.



 
SubfamiliaCerambycinae Latreille, 1802
TribusClytini Mulsant, 1839
GenusPseudosphegesthes Reitter, 1912
SpeciesPseudosphegesthes bubeniki Rapuzzi & Jeniš, 2015