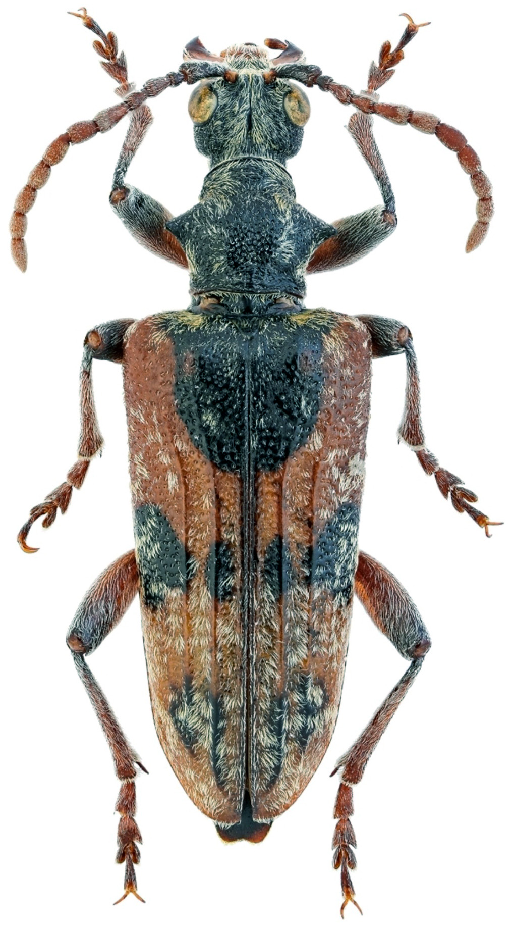
Rhagium (Megarhagium) syriacum Pic, 1892
ssp. phrygium K. Daniel, 1906
[= Rhagium phrygium Daniel, 1906]
Subfamilia: LEPTURINAE / Tribus: RHAGIINI
ssp. phrygium K. Daniel, 1906
[= Rhagium phrygium Daniel, 1906]
Subfamilia: LEPTURINAE / Tribus: RHAGIINI
[Photo © Lech Kruszelnicki] |
|
| Subfamilia | Lepturinae Latreille, 1802 |
| Tribus | Rhagiini Kirby, 1837 |
| Genus | Rhagium Fabricius, 1775 |
| Subgenus | Megarhagium Reitter, 1913 |
| Species | Rhagium (Megarhagium) syriacum Pic, 1892 |
| Subspecies | Rhagium (Megarhagium) syriacum phrygium K. Daniel, 1906 |
