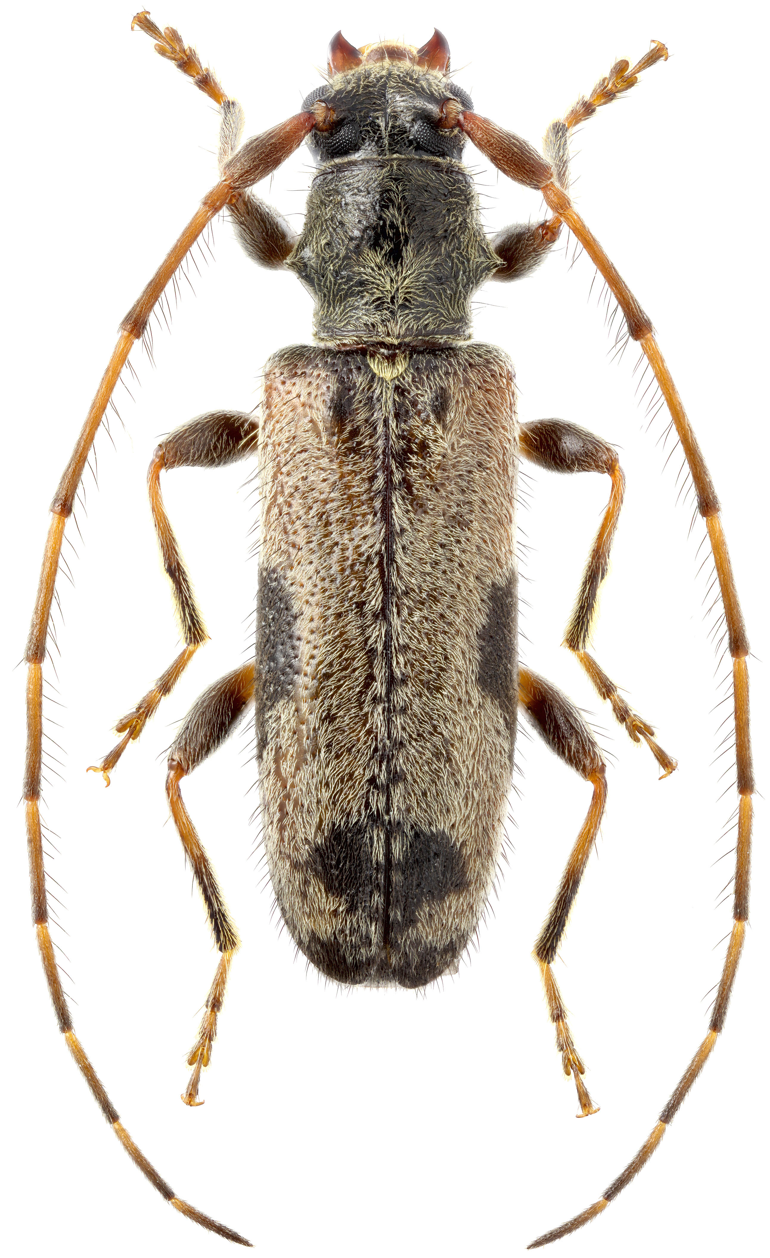
Rhopaloscelis maculatus Bates, 1877
[= Clytosemia apicalis Pic, 1907]
Subfamilia: LAMIINAE / Tribus: DESMIPHORINI
[= Clytosemia apicalis Pic, 1907]
Subfamilia: LAMIINAE / Tribus: DESMIPHORINI
[Photo © Kirill V. Makarov, click on the picture for 4K resolution] |
|
| Subfamilia | Lamiinae Latreille, 1825 |
| Tribus | Desmiphorini Thomson, 1860 |
| Genus | Rhopaloscelis Blessig, 1873 |
| Species | Rhopaloscelis maculatus Bates, 1877 |

