Ropalopus ruficollis, an extremely rare endemic species to Russian Far East, has been described from Tunaycha lake environs (Sakhalin) by Shonen Matsumura in 1911 [▽].
Only a few specimens of this interesting species are known and nothing is known about its biology. 
| Body length: | 12 - 14 mm | 
| Life cycle: | 2 years [?] | 
| Adults in: | June - July | 
| Host plant: | probably polyphagous in deciduous trees [?] | 
| Distribution: | an endemic species to Russian Far East (Sakhalin and Primorye) | 
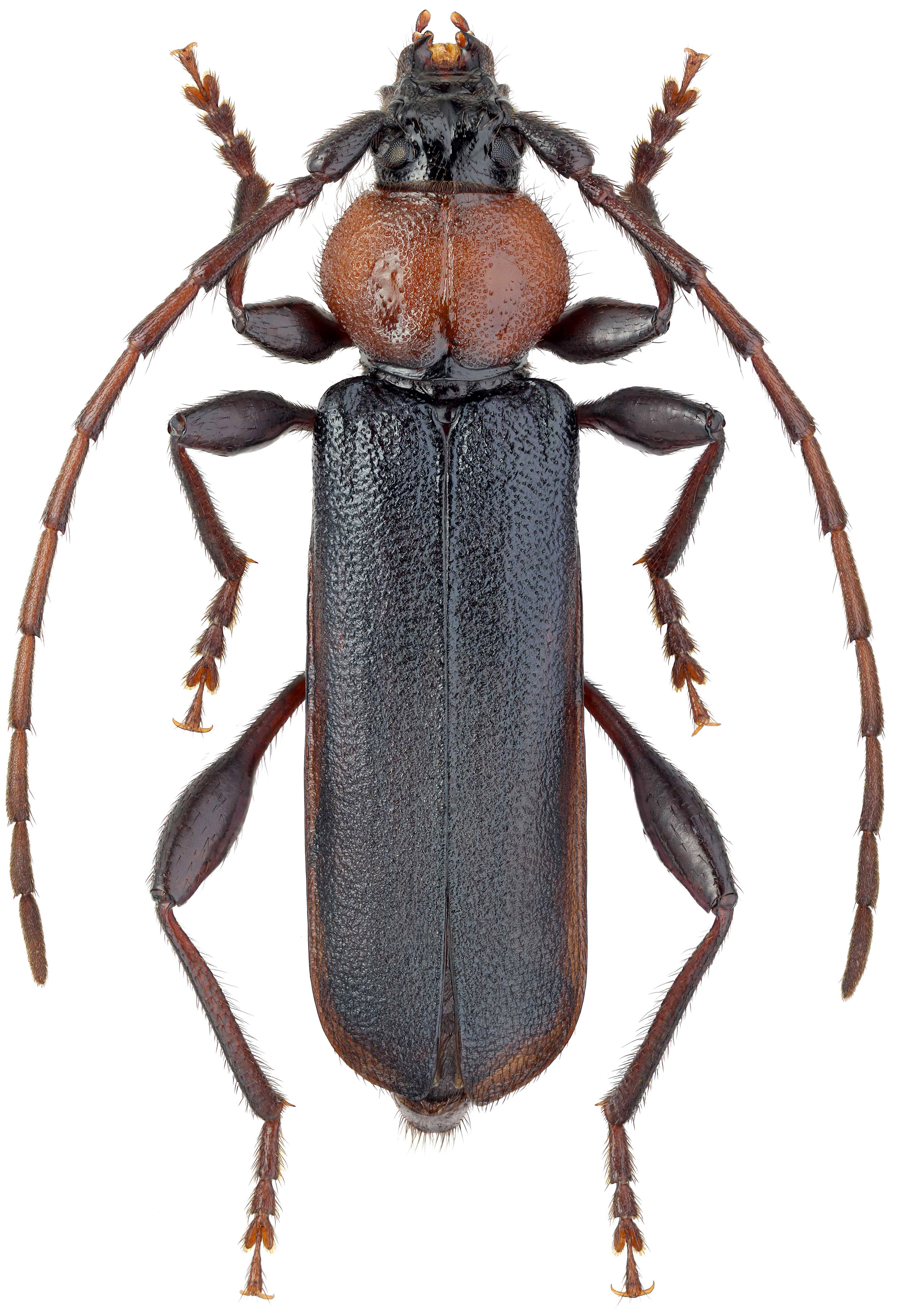
Depicted mounted female beetle (11 mm) was collected on the west foot of Mount Bolshevik (Большевик) (N46°56′41″ E142°46′30″; 185 m a.s.l.,
Yuzhno-Sakhalinsk (Ю́жно-Сахали́нск) environs, Sakhalin oblast, Far Eastern Federal District, Russia) on July 14-15, 2011.
Collected by Kirill V. Makarov and A. Zaitsev
[▽]
Matsumura S.:
Erster Beitrag zur Insekten-Fauna von Sachalin.
Journal of the College of Agriculture, Tohoku Imperial University, Sapporo 4 (1): 1-145 [page 138], 1911.
[download  ]
]
[❖]
Cherepanov A.I.:
Cerambycidae of Northern Asia, Volume 2 - Cerambycinae Part I.
Amerind Publishing, New Delhi: 304pp [page 184], 1988.
[download  ]
]