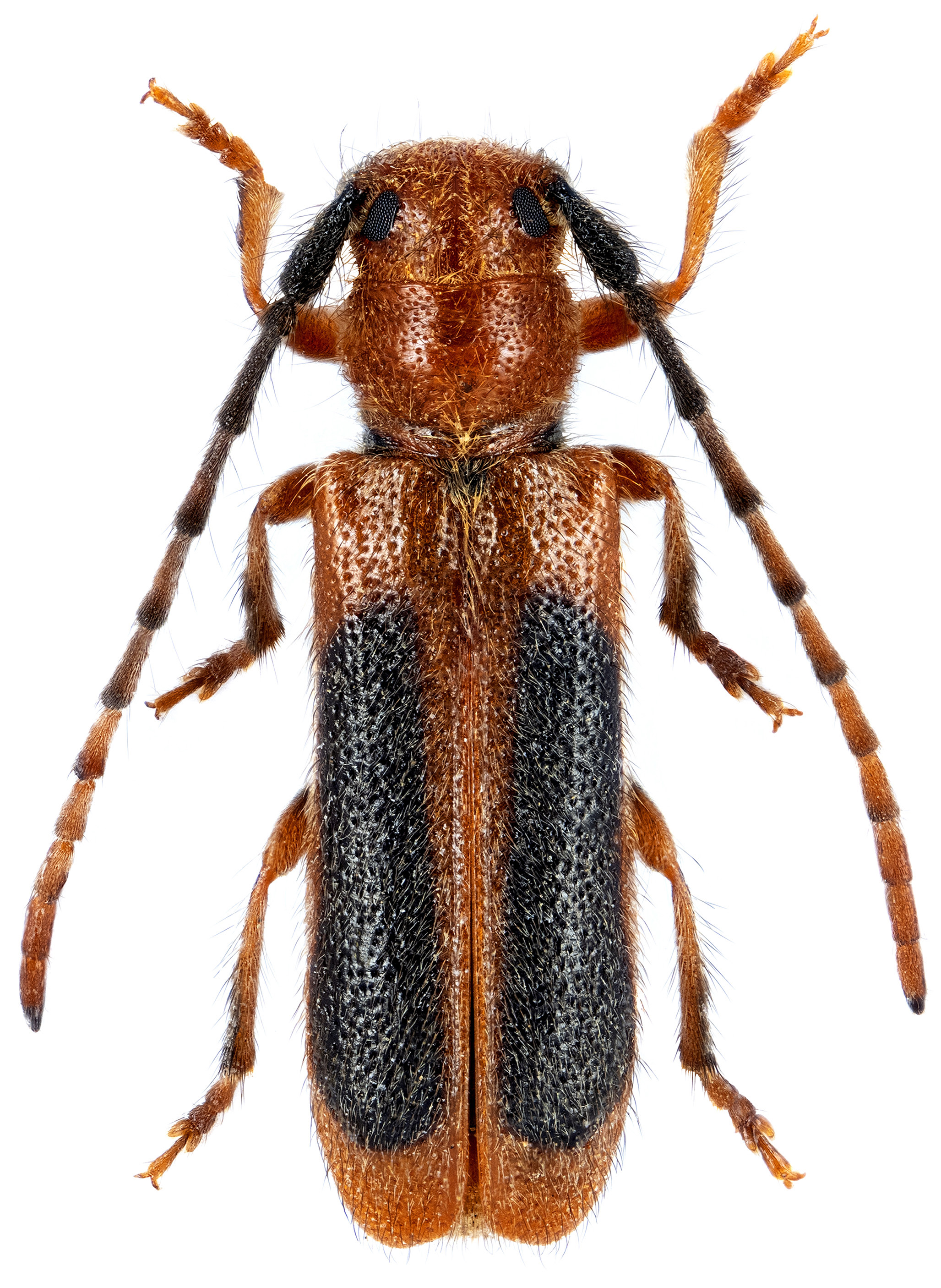
Tetrops (Mimosophronica) bicoloricornis Kostin, 1973
ssp. ferganensis Danilevsky, 2018
Subfamilia: LAMIINAE / Tribus: TETROPINI
ssp. ferganensis Danilevsky, 2018
Subfamilia: LAMIINAE / Tribus: TETROPINI
[Photo © Photo © David Navrátil & 8K postprocessing Michal Hoskovec] |
|
| Subfamilia | Lamiinae Latreille, 1825 |
| Tribus | Tetropini Portevin, 1927 |
| Genus | Tetrops Kirby, 1826 |
| Subgenus | Mimosophronica Breuning, 1943 |
| Species | Tetrops (Mimosophronica) bicoloricornis Kostin, 1973 |
| Subspecies | Tetrops (Mimosophronica) bicoloricornis ferganensis Danilevsky, 2018 |
