Tetrops (Mimosophronica) formosus Baeckmann, 1903
ssp. bivittulatus Jankovsky, 1934
[= Tetrops formosa var. bivittulata Jankovsky, 1934]

Subfamilia: LAMIINAE  /  Tribus: TETROPINI
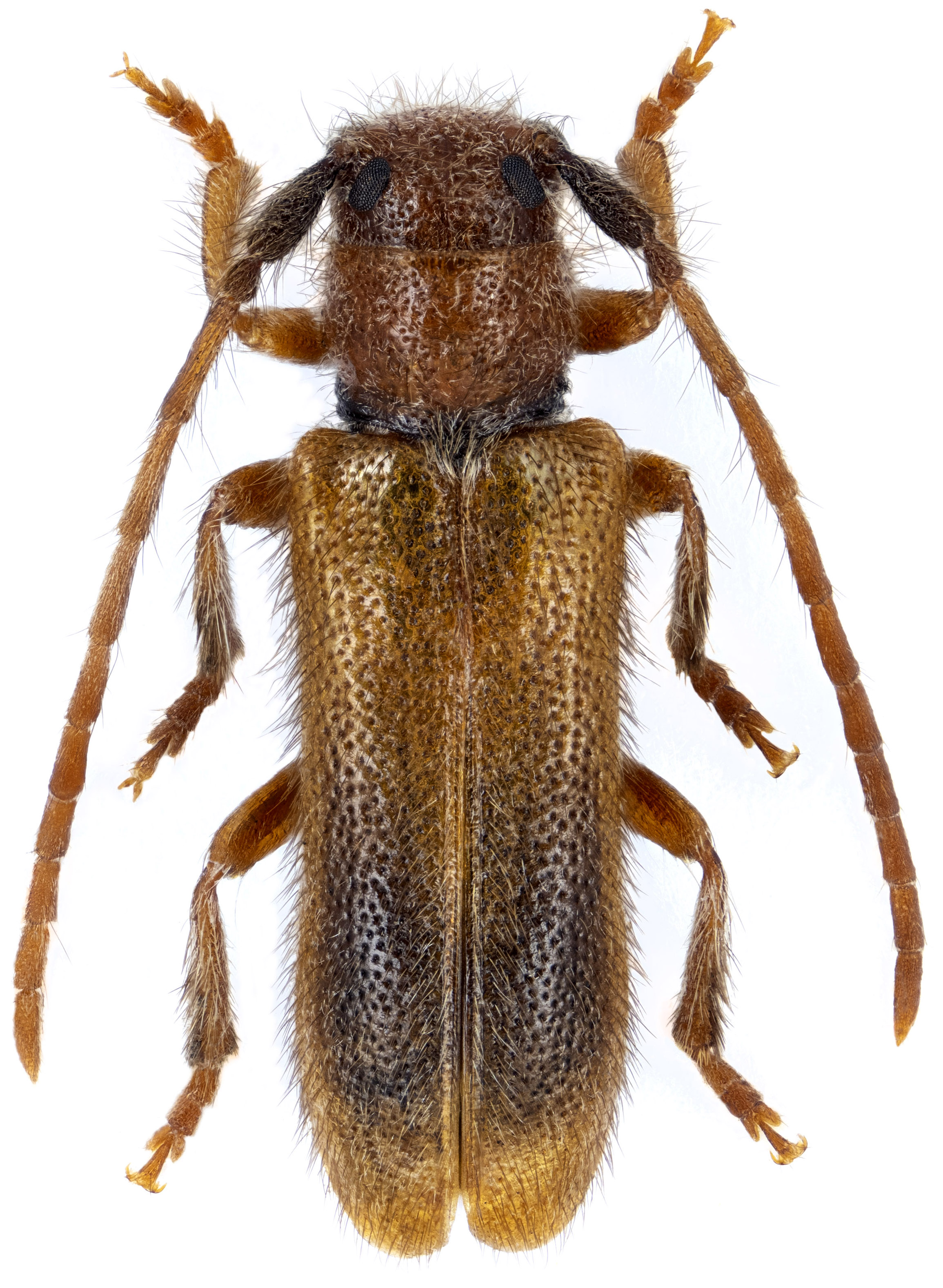
Tetrops formosus bivittulatus

[Photo © David Navrátil & 8K postprocessing Michal Hoskovec]
[click on the picture for 4K resolution]

Tetrops formosus has been described from Issyk-Kul lake environs (Kyrgyzstan) as Tetrops formosa by Julius Ivanovitch Baeckmann in 1903 [✧]. Its subspecies T. formosus bivittulatus, known from Kazakhstan, has been described from Trans-Ili Alatau Mts. as Tetrops formosa var. bivittulata by Ivan Vitalievitch Jankovsky in 1934 [✧]. Larvae of T. formosus bivittulatus develop in twigs of Malus, Ribes and Amelanchier. Adults, active from May to July, can be found on the host trees [❖].

Body length:♂♂ 3.8 - 6.4 mm / ♀♀ 4.9 - 6.5 mm
Life cycle:2 years [?]
Adults in:May - July
Host plant:Malus, Ribes, Amelanchier
Distribution:an endemic subspecies to Kazakhstan


The depicted beetle was beaten from apple tree in Chebunsay environs (N43°11′58″ E77°02′22″; 1500 m a.s.l., 15 km S Almaty, SE Kazakhstan) on June 15, 2002.

Collected by Mikhail L. Danilevsky


[✧]
Baeckmann J.I.:
Eine neue Tetrops-Art vom Issyk-kul-See (Coleoptera, Cerambycidae)..
Revue Russe d'Entomologie, Saint-Petersbourg 3 (6): 311-312, 1903. [download pdf icon]

[✧]
Jankovsky I.V.:
Material zur Kenntniss der Bockkäfer Mittelasiens.
Bulletin des Mittelasiens Staatlichen Universitat 19 (16): 95-115, 1934.


[❖]
Danilevsky M.L.:
Revision of the Central Asian species of the genus Tetrops Kirby, 1826 (Coleoptera, Cerambycidae).
Humanity space - International Almanac 7 (2): 260-297, 2018. [download pdf icon]



 
SubfamiliaLamiinae Latreille, 1825
TribusTetropini Portevin, 1927
GenusTetrops Kirby, 1826
SubgenusMimosophronica Breuning, 1943
SpeciesTetrops (Mimosophronica) formosus Baeckmann, 1903
SpeciesTetrops (Mimosophronica) formosus bivittulatus Jankovsky, 1934