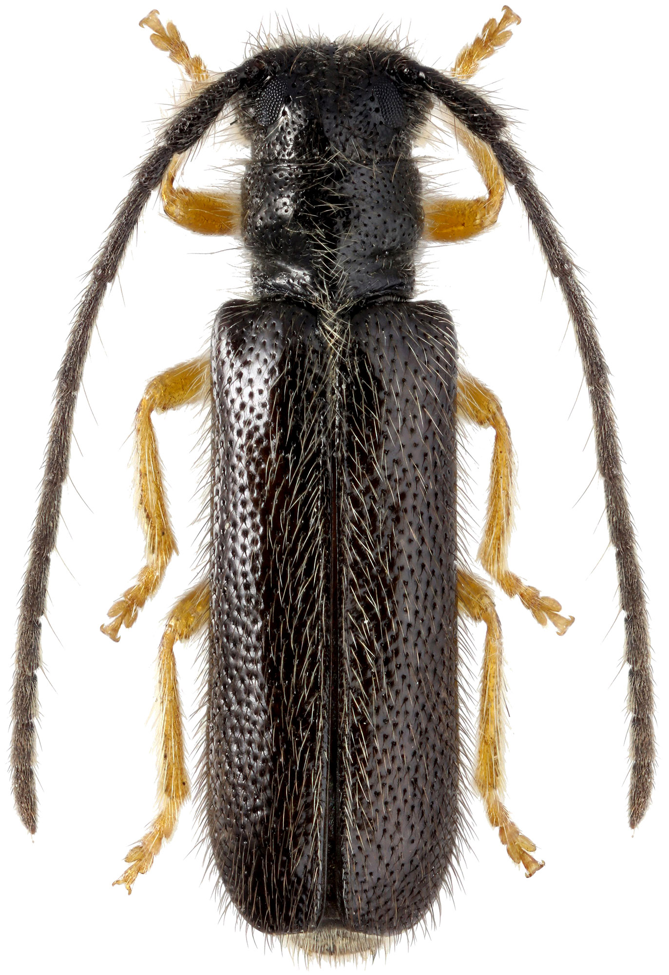
Tetrops (Tetrops) gilvipes (Faldermann, 1837)
ssp. efetovi Lazarev, 2012

Subfamilia: LAMIINAE  /  Tribus: TETROPINI
Tetrops gilvipes efetovi
[Photo © Kirill V. Makarov]



Genus Tetrops belongs among taxomically the most complicated Cerambycid genera of the West Palaearctic region - especially clusters of T. gilvipes and T. praeustus species. Paper of Maxim Lazarev [❖] is one of the first modern works trying to break this Gordian knot. In the frame of revison of T. gilvipes cluster Lazarev described several subspecies of this interesting and widespread beetle, one of them is Tetrops gilvipes efetovi known from Crimea Peninsula. T. g. efetovi is a transitional population between T. g. gilvipes and T. g. adlbaueri.

Body length:♂♂ 4.2 - 4.9 mm, ♀♀ 3.9 - 5.1 mm
Life cycle:1 year
Adults in:April -June
Host plant:polyphagous - twigs of deciduos trees
Distribution:an endemic taxon to Crimea Peninsula


Depicted beetle was collected in Alushta-Rybachye (Алушта-Рыбачье) environs (N44°75′ E34°50′, Republic of Crimea, Russia) on April 18-25, 2014.

Collected by N.Vikhrev


[❖]
Lazarev M. A.:
Revision of the taxonomic structure of Tetrops gilvipes (Faldermann, 1837) (Coleoptera, Cerambycidae).
Humanity space - International Almanac 1 (4): 944-957, 2012. [download pdf icon]


 
SubfamiliaLamiinae Latreille, 1825
TribusTetropini Portevin, 1927
GenusTetrops Kirby, 1826
SubgenusTetrops Kirby, 1826
SpeciesTetrops (Tetrops) gilvipes (Faldermann, 1837)
SubspeciesTetrops (Tetrops) gilvipes efetovi Lazarev, 2012