Turanium (Chalcoturanium) johannis, a species occuring in Kyrgyzstan and West China, has been described from West Tian-Shan Mts. (Kyrgyzstan) by  Julius Ivanovitch Baeckmann in 1922 [✳].
T. johannis is extremely polyphagous species on both coniferous and deciduous trees: Picea, Abies, Juglans, Cotoneaster,
Prunus, Sorbus, Malus, Frangula. Larvae feed in dead twigs subcortically, then pupate in wood. Adults can be found from May to August flying or on host trees [✮]. 
| Body length: | 6 - 13 mm | 
| Life cycle: | 2 years | 
| Adults in: | May - August | 
| Host plant: | polyphagous in deciduous and coniferous trees | 
| Distribution: | Kyrgyzstan (West Tian-Shan Mts.), China | 
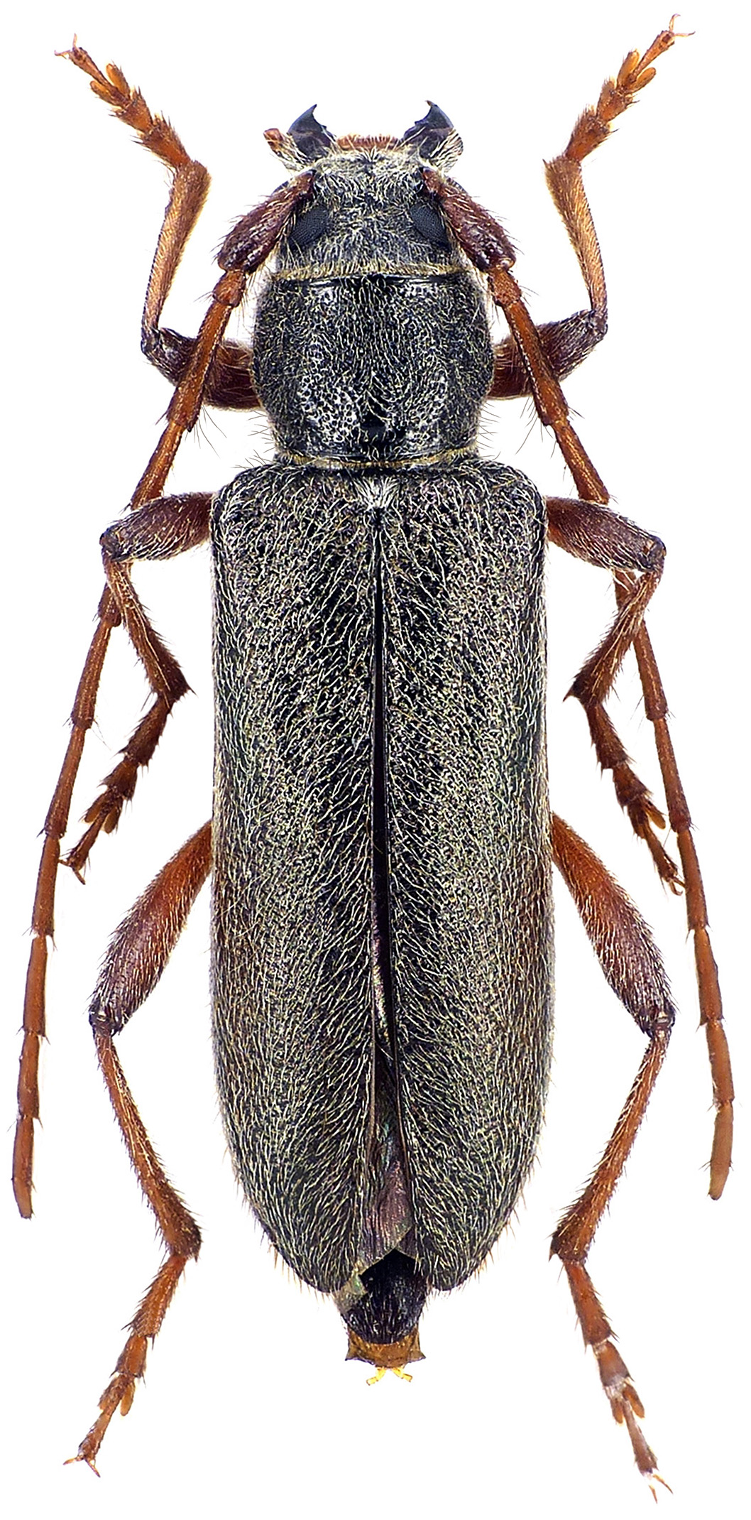
Depicted beetle was reared from larva collected in Arkit environs (Kyrgyzstan) on June 12, 2017.
Collected by Pavel Hubený
[✳]
Baeckmann J.I.:
Revision der Gattung Pronocera auctorum (Coleoptera, Cerambycidae).
Revue Russe d'Entomologie, Saint-Petersbourg 18 (1): 28-35, 1922.
[download  ]
]
[✮]
Danilevsky M.L.:
Review of genus Turanium Baeckmann, 1923 (Coleoptera, Cerambycidae).
Lambillionea, CI (4): 579-588, 2001.
[download  ]
]
Plavilstshikov N.N.:
Cerambycidae III. Cerambycinae: Cerambycini 3 (Callichromina, Rosaliina, Callidiina).
Bestimmungs-Tabellen der europäischen Coleopteren, Troppau, 112: 1-230, 1934.
[download  ]
]