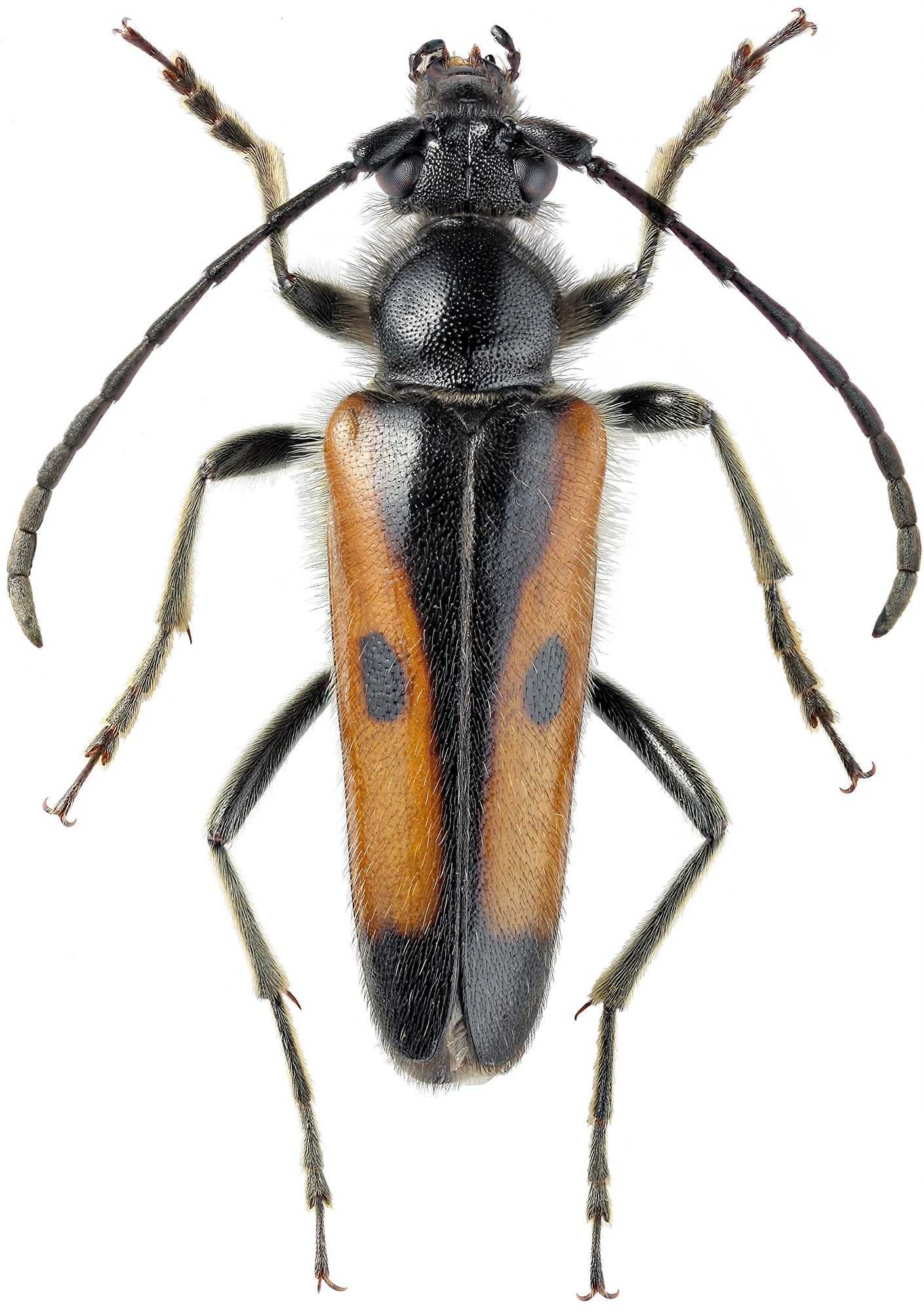
Vadonia bipunctata sareptana, a subspecies occuring in Russian South European territory and Kazakhstan, has been described from South Russia as
Vadonia Steveni v. sareptana by Maurice Pic in 1941 [▽]. V. bipunctata sareptana is a part of taxonomically very complicated
cluster of Vadonia bipunctata (Fabricius, 1781), which comprises nine subspecies (in spring 2021). The majority of this cluster is commented in detail
in the Michail Danilevsky' work dedicated to Cerambycoidea of Russia and adjacent countries from 2014 [✧].
The larvae of Vadonia bipunctata sareptana develop underground on the roots of herbaceous plants and pupate in the soil in spring. Life-cycle is two years.
Adults, diurnal and anthophilous, are active from May to July.
                                          
| Body length: | ♂♂ 8 - 14 mm / ♀♀ 8 - 16 mm | 
| Life cycle: | 2 years | 
| Adults in: | May - July | 
| Host plant: | polyphagous on roots of herbaceous plants (e.g. Knautia, Scabiosa, Euphorbia) | 
| Distribution: | Russia (South European territory), North Kazakhstan | 
The depicted beetle was collected in Markov ravine (балка Маркова) in Mikhaylovka (Миха́йловка) environs
(N49°46′46″ E44°24′07″; ~103 m a.s.l., Volgograd oblast, Southern Federal District, Russia) on June 4-5, 2008.   
Collected by Kirill V. Makarov
[▽]
Pic M.:
Opuscula martialis V.
L'Echange, Revue Linnéenne, Numéro spécial 5: 1-16, 1941.
[download  ]
]
[✧]
Danilevsky M.L.:
Longicorn beetles (Coleoptera, Cerambycoidea) of Russia and adjacent countries. Part 1.
Higher School Consulting, Moscow, 550pp [pages 241-247], 2014.
[download  ]
]