Xylotrechus polyzonus, a colorful East-Palaearctic species distributed in Russian Far East, China and Korea, has been described from Beijing environs (China) as Clytus polyzonus by
Léon Marc Herminie Fairmaire in 1888 [❖].
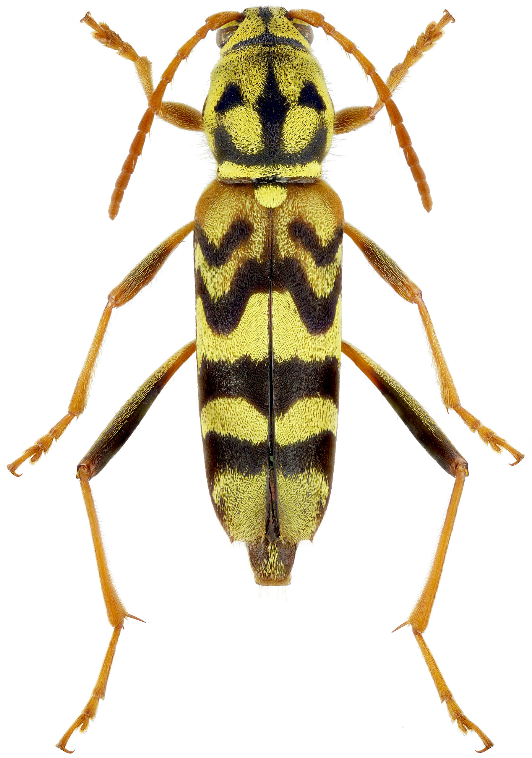
| Body length: | 10 - 14 mm | 
| Life cycle: | 2 years | 
| Adults in: | June - August | 
| Host plant: | polyphagous in deciduous trees | 
| Distribution: | Russian Far East, China, Korea | 
Depicted mounted beetle was beaten from oak (Quercus sp.) in Anisimovka (Анисимовка) village environs (300 m a.s.l., Shkotovsky district, Primorsky krai, Russia) on August 3, 2012. 
Collected by S.Alekseyenko
[❖]
Fairmaire L.M.H.:
Les Coléoptères des environs de Pékin (2e Partie). 
Revue d'Entomologie, Caen 7: 111-160, 1888.
[download  ]
]
Han Y. and Lyu D.:
Taxonomic Review of the Genus Xylotrechus (Coleoptera: Cerambycidae: Cerambycinae) in Korea with a Newly Recorded Species.
Korean Journal of Applied Entomolology 49 (2): 69-82, 2010.
[download  ]
]
Cherepanov A.I.:
Cerambycidae of Northern Asia, Volume 2 - Cerambycinae Part II.
Amerind Publishing, New Delhi: 354pp [pages 66-68], 1988.
[download  ]
]