|   [Photo © Maxim E. Smirnov, click on the picture for 4K resolution]
 | 
 
 
 
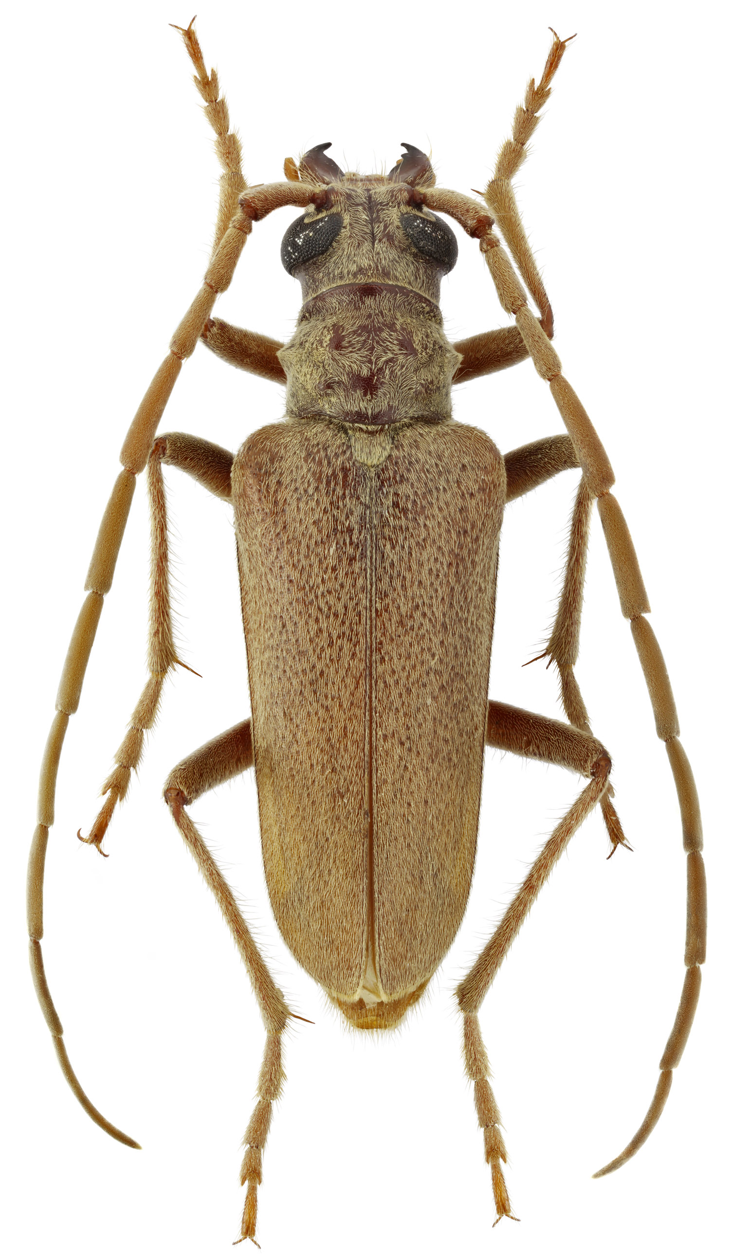
Apatophysis caspica, a species with a relatively large area of distribution (Caucasus, Central Asia and Near East), has been described from Turkmenistan
by Andrej Petrovitsch Semenov Tian-Shanskij in 1901 [▽]. Bionomy of the species is similar to the sister taxon A. serricornis,
it is also occuring in desert and semidesert landscapes of different types, but generally with warmer climate. Larvae develop in roots of desert shrubs and trees
(Ephedra, Salsola, Haloxylon, Kalidium). Adults, active from May to August, are crepuscular [✧]. 
   
 
| Body length: | ♂♂ 9.5 - 17 mm / ♀♀ 13 - 15 mm |  | Life cycle: | 2 and more years [?] |  | Adults in: | May - August |  | Host plant: | roots of desert shrubs and trees (e.g. Ephedra, Salsola, Haloxylon, Kalidium) |  | Distribution: | South Russia, East Georgia, Armenia, Azerbajdzhan, Kazakhstan, Uzbekistan,
Turkmenia, Tadzhikistan, Turkey, Iran, Afghanistan, Jordan |  Depicted male beetle was collected in Kamyshchay river valley (Derbent district, Dagestan, North Caucasian Federal District, Russia) on June 14, 2017.
 
Collected by Maxim E. Smirnov
 
 
[▽]
Semenov Tian-Shanskij A.P.:
 Diagnoses praecursoriae specierum novarum generis Apatophysis Chevr. (Coleoptera, Cerambycidae).
 Revue Russe d'Entomologie, Saint-Petersbourg 1 (1-2): 28-32, 1901.
[download
  ] 
[✧]
Danilevsky M.L.:
 Apatophysis Chevrolat, 1860 (Coleoptera, Cerambycidae) of Russia and adjacent regions.
 Studies and reports of District Museum Prague-East. Taxonomical Series 4 (1-2): 7-56, 2008.
[download
  ] |