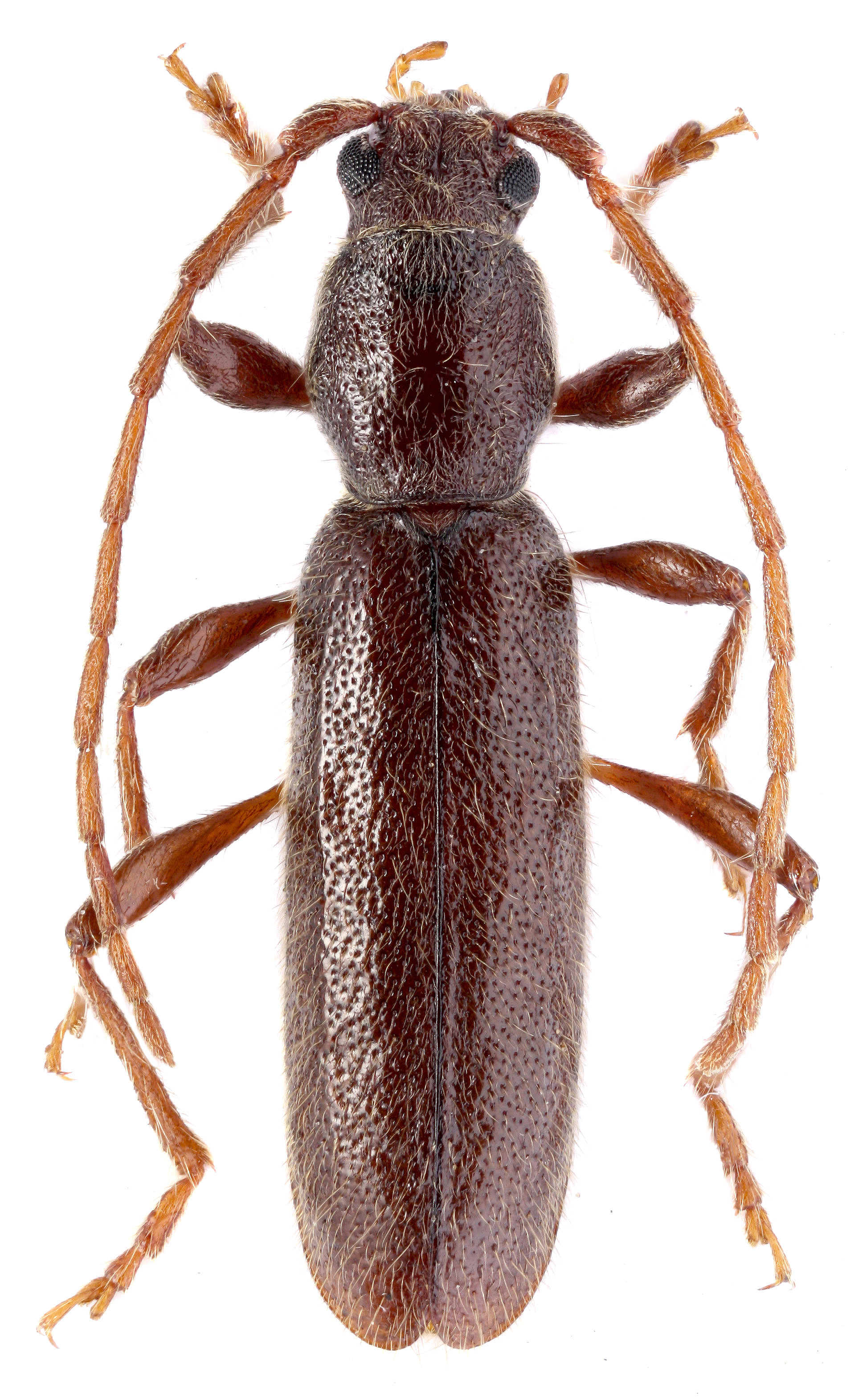
Hybometopia starcki Ganglbauer, 1889
[= Hybometopia starki Ganglbauer, 1889]
Subfamilia: CERAMBYCINAE / Tribus: GRACILIINI
				
			[= Hybometopia starki Ganglbauer, 1889]
Subfamilia: CERAMBYCINAE / Tribus: GRACILIINI
|   [Photo © Denis G. Kasatkin; www.zin.ru] | 
 | 
 
[Photo © Michal Hoskovec, Fuji Superia 400 35 mm film scan]
                                              
| Subfamilia | Cerambycinae Latreille, 1802 | 
| Tribus | Graciliini Mulsant, 1839 | 
| Genus | Hybometopia Ganglbauer, 1889 | 
| Species | Hybometopia starcki Ganglbauer, 1889 | 
